Abstract
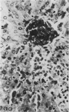
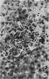
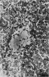
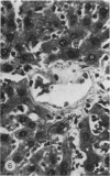
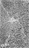
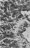
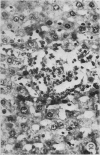
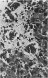
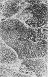
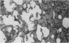
Flour from the young shoot of the palmyrah palm (Borassus flabellifer) which is consumed by people in certain tropical countries, when fed for prolonged periods to adult male rats produced chronic hepatic lesions which included intraluminal fibrosis of the centrilobular and portal veins, bile duct proliferation, increase of reticulin and fibrosis. Thromboses of the hepatic veins was not seen. The vascular lesions commenced as a subendothelial swelling which projected into the lumen and in which collagen deposition ended in almost total obliteration of the lumen. No hepatic megalocytosis was seen. It is suggested that the toxic factor(s) responsible are different from the pyrrolizidine alkaloids and dimethylnitrosamine which have been well documented to produce similar lesions.
Full text
PDF










Images in this article
Selected References
These references are in PubMed. This may not be the complete list of references from this article.
- Allen J. R., Carstens L. A., Katagiri G. J. Hepatic veins of monkeys with veno-occlusive disease. Sequential ultrastructural changes. Arch Pathol. 1969 Mar;87(3):279–289. [PubMed] [Google Scholar]
- Arseculeratne S. N., Panabokke R. G., Tennekoon G. E., Bandunatha C. H. Toxic effects of Borassus Flabellifer (palmyrah palm) in rats. Br J Exp Pathol. 1971 Oct;52(5):524–537. [PMC free article] [PubMed] [Google Scholar]
- BARNES J. M., MAGEE P. N. Some toxic properties of dimethylnitrosamine. Br J Ind Med. 1954 Jul;11(3):167–174. doi: 10.1136/oem.11.3.167. [DOI] [PMC free article] [PubMed] [Google Scholar]
- Brooks S. E., Miller C. G., McKenzie K., Audretsch J. J., Bras G. Acute veno-occlusive disease of the liver. Fine structure in Jamaican children. Arch Pathol. 1970 Jun;89(6):507–520. [PubMed] [Google Scholar]
- Carter R. L., Percival W. H., Roe F. J. Exceptional sensitivity of mink to the hepatotoxic effects of dimethylnitrosamine. J Pathol. 1969 Jan;97(1):79–88. doi: 10.1002/path.1710970110. [DOI] [PubMed] [Google Scholar]
- HILL K. R. The world-wide distribution of seneciosis in man and animals. Proc R Soc Med. 1960 Apr;53:281–283. [PubMed] [Google Scholar]
- McGrath J. P., Duncan J. R., Munnell J. F. Crotalaria spectabilis toxicity in swine: characterization of the renal glomerular lesion. J Comp Pathol. 1975 Apr;85(2):185–194. doi: 10.1016/0021-9975(75)90059-6. [DOI] [PubMed] [Google Scholar]
- McLean E., Bras G., McLean A. E. Venous occlusions in the liver following dimethylnitrosamine. Br J Exp Pathol. 1965 Aug;46(4):367–369. [PMC free article] [PubMed] [Google Scholar]
- Reed G. B., Jr, Cox A. J., Jr The human liver after radiation injury. A form of veno-occlusive disease. Am J Pathol. 1966 Apr;48(4):597–611. [PMC free article] [PubMed] [Google Scholar]
- SCHOENTAL R., HEAD M. A. Pathological changes in rats as a result of treatment with monocrotaline. Br J Cancer. 1955 Mar;9(1):229–237. doi: 10.1038/bjc.1955.19. [DOI] [PMC free article] [PubMed] [Google Scholar]
- SELZER G., PARKER R. G. F., SAPEIKA N. An experimental study of senecio poisoning in rats. Br J Exp Pathol. 1951 Feb;32(1):14–20. [PMC free article] [PubMed] [Google Scholar]
- STIRLING G. A., BRAS B., URQUHART A. E. The early lesions in veno-occlusive disease of the liver. Arch Dis Child. 1962 Oct;37:535–538. doi: 10.1136/adc.37.195.535. [DOI] [PMC free article] [PubMed] [Google Scholar]
- STUART K. L., BRAS G. Veno-occlusive disease of the liver. Q J Med. 1957 Jul;26(103):291–315. [PubMed] [Google Scholar]
- Svoboda D., Soga J. Early effects of pyrrolizidine alkaloids on the fine structure of rat liver cells. Am J Pathol. 1966 Mar;48(3):347–373. [PMC free article] [PubMed] [Google Scholar]
- Van der Watt J. J. The acute toxicity of retrorsine, aflatoxin and sterigmatocystin in vervet monkeys. Br J Exp Pathol. 1970 Apr;51(2):183–190. [PMC free article] [PubMed] [Google Scholar]



















