Abstract
Lyons, J. P., Ryder, R. C., Campbell, H., Clarke, W. G., and Gough, J. (1974).British Journal of Industrial Medicine,31, 36-44. Significance of irregular opacities in the radiology of coalworkers' pneumoconiosis. A correlation study of ventilatory, morbid anatomical, and radiological findings 95 deceased coal miners who suffered with simple pneumoconiosis during life was undertaken using the new ILO U/C International Classification of Radiographs of Pneumoconiosis, which now provides for the occurence of irregular opacities in addition to the classical rounded opacities. The study was carried out with a view to ascertaining the frequency of occurrence and the significance of irregular opacities in coalworkers' pneumoconiosis. Two ϰ-ray films with an average interval of 11 years between them were reported on in each case. The results showed that irregular opacities amounting to category 1 or more were present in 20% of the earlier films and in 48% of the later ones. Exceptionally they occured alone but were usually admixed with classical rounded opacities.
Irregular opacities correlated positively with the extent of emphysema and the impairment of FEV1 whereas rounded opacities did not.
Possible pathological causes for the irregular opacities are discussed and it is maintained that coalworkers' pneumoconiosis is the most probable one. Finally, it is suggested that the significance of these irregular changes may have been underrated in certain cases hitherto, with consequent underestimation of pneumoconiosis and its related effects.
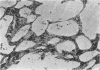
Morphological findings in a typical case showing radiologically mixed irregular and rounded opacities are demonstrated.
Full text
PDF








Images in this article
Selected References
These references are in PubMed. This may not be the complete list of references from this article.
- DUGUID J. B., LAMBERT M. W. THE PATHOGENESIS OF COAL MINER'S PNEUMOCONIOSIS. J Pathol Bacteriol. 1964 Oct;88:389–403. [PubMed] [Google Scholar]
- Lyons J. P., Ryder R., Campbell H., Gough J. Pulmonary disability in coal workers' pneumoconiosis. Br Med J. 1972 Mar 18;1(5802):713–716. doi: 10.1136/bmj.1.5802.713. [DOI] [PMC free article] [PubMed] [Google Scholar]
- Naeye R. L. Types of fibrosis in coal workers' pneumoconiosis. Ann N Y Acad Sci. 1972 Dec 29;200:381–400. doi: 10.1111/j.1749-6632.1972.tb40203.x. [DOI] [PubMed] [Google Scholar]
- Rossiter C. E. Relation between content and composition of coalworkers' lungs and radiological appearances. Br J Ind Med. 1972;29(1):31–44. doi: 10.1136/oem.29.1.31. [DOI] [PMC free article] [PubMed] [Google Scholar]
- Ryder R. C., Thurlbeck WM GOUGH J. A study of interobserver variation in the assessment of the amount of pulmonary emphysema in paper-mounted whole lung sections. Am Rev Respir Dis. 1969 Mar;99(3):354–364. doi: 10.1164/arrd.1969.99.3.354. [DOI] [PubMed] [Google Scholar]
- Ryder R., Lyons J. P., Campbell H., Gough J. Emphysema in coal workers' pneumoconiosis. Br Med J. 1970 Aug 29;3(5721):481–487. doi: 10.1136/bmj.3.5721.481. [DOI] [PMC free article] [PubMed] [Google Scholar]




