Abstract
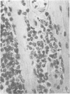
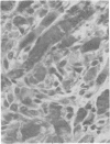
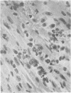
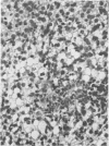
Newborn mice were inoculated intracerebrally with murine cytomegalovirus and studies were made of the pathological changes in the striate and cardiac muscle and brown fat. Widespread necrosis was seen in muscle and brown fat in the early stages of the infection. Necrotic lesions became calcified. By 56 days lesions were not resolved in the heart and brown fat but were completely resolved in skeletal muscle.
Full text
PDF





Images in this article
Selected References
These references are in PubMed. This may not be the complete list of references from this article.
- ALBRECHT P. Lipotropism of the virus of the western type of North American equine encephalomyelitis (WEE) in white mice. Acta Virol. 1958 Jan-Mar;2(1):22–31. [PubMed] [Google Scholar]
- ARONSON S. M., SHWARTZMAN G. Pathology of muscle changes in experimental poliomyelitis enhanced with aid of cortisone. AMA Arch Pathol. 1953 Dec;56(6):557–571. [PubMed] [Google Scholar]
- BODIAN D. Poliovirus in chimpanzee tissues after virus feeding. Am J Hyg. 1956 Sep;64(2):181–197. doi: 10.1093/oxfordjournals.aje.a119833. [DOI] [PubMed] [Google Scholar]
- FECHNER R. E., SMITH M. G., MIDDLEKAMP J. N. Coxsackie B virus infection of the newborn. Am J Pathol. 1963 Apr;42:493–505. [PMC free article] [PubMed] [Google Scholar]
- GEAR J. H. Coxsackie virus infections of the newborn. Prog Med Virol. 1958;1:106–121. [PubMed] [Google Scholar]
- GIFFORD R., DALLDORF G. The morbid anatomy of experimental Coxsackie virus infection. Am J Pathol. 1951 Nov-Dec;27(6):1047–1063. [PMC free article] [PubMed] [Google Scholar]
- GRODUMS E. I., DEMPSTER G. Myocarditis in experimental Coxsackie B-3 infection. Can J Microbiol. 1959 Dec;5:605–615. doi: 10.1139/m59-074. [DOI] [PubMed] [Google Scholar]
- HAHON N., WILSON B. J. Pathogenesis of variola in Macaca irus monkeys. Am J Hyg. 1960 Jan;71:69–80. doi: 10.1093/oxfordjournals.aje.a120091. [DOI] [PubMed] [Google Scholar]
- HARTLEY J. W., ROWE W. P. A new mouse virus apparently related to the adenovirus group. Virology. 1960 Jul;11:645–647. doi: 10.1016/0042-6822(60)90109-4. [DOI] [PubMed] [Google Scholar]
- HASSAN S. A., RABIN E. R., MELNICK J. L. REOVIRUS MYOCARDITIS IN MICE: AN ELECTRON MICROSCOPIC, IMMUNOFLUORESCENT, AND VIRUS ASSAY STUDY. Exp Mol Pathol. 1965 Feb;76:66–80. doi: 10.1016/0014-4800(65)90024-9. [DOI] [PubMed] [Google Scholar]
- Kundin W. D., Liu C., Gigstad J. Reovirus infection in suckling mice: immunofluorescent and infectivity studies. J Immunol. 1966 Sep;97(3):393–401. [PubMed] [Google Scholar]
- Lerner A. M., Wilson F. M. Virus myocardiopathy. Prog Med Virol. 1973;15:63–91. [PubMed] [Google Scholar]
- Lussier G. La maladie des inclusions cytomégaliques chez la souris. Lésions produites dans la forme généralisée. Union Med Can. 1973 Jan;102(1):134–139. [PubMed] [Google Scholar]
- McKenzie B. E., Easterday B. C., Will J. A. Light and electron microscopic changes in the myocardium of influenza-infected turkeys. Am J Pathol. 1972 Nov;69(2):239–254. [PMC free article] [PubMed] [Google Scholar]
- Murphy F. A., Taylor W. P., Mims C. A., Marshall I. D. Pathogenesis of Ross River virus infection in mice. II. Muscle, heart, and brown fat lesions. J Infect Dis. 1973 Feb;127(2):129–138. doi: 10.1093/infdis/127.2.129. [DOI] [PubMed] [Google Scholar]
- PAPPENHEIMER A. M., DANIELS J. B., CHEEVER F. S., WELLER T. H. Lesions caused in suckling mice by certain viruses isolated from cases of so called non-paralytic poliomyelitis and of pleurodynia. J Exp Med. 1950 Aug;92(2):169–190. doi: 10.1084/jem.92.2.169. [DOI] [PMC free article] [PubMed] [Google Scholar]
- PLATT H. A study of the pathological changes produced in young mice by the virus of foot-and-mouth disease. J Pathol Bacteriol. 1956 Jul;72(1):299–312. doi: 10.1002/path.1700720135. [DOI] [PubMed] [Google Scholar]
- RABIN E. R., HASSAN S. A., JENSON A. B., MELNICK J. L. COXSACKIE VIRUS B3 MYOCARDITIS IN MICE. AN ELECTRON MICROSCOPIC, IMMUNOFLUORESCENT AND VIRUS-ASSAY STUDY. Am J Pathol. 1964 May;44:775–797. [PMC free article] [PubMed] [Google Scholar]
- RABIN E. R., PHILLIPS C. A., JENSON A. B., MELNICK J. L. VACCINIA VIRUS MYOCARDITIS IN MICE: AN ELECTRON MICROSCOPIC AND VIRUS ASSAY STUDY. Exp Mol Pathol. 1965 Feb;76:98–111. doi: 10.1016/0014-4800(65)90026-2. [DOI] [PubMed] [Google Scholar]
- SEIFERT G. DIE ZYTOMEGALE VIRUSMYOKARDITIS. Dtsch Med Wochenschr. 1965 Jan 22;90:149–152. doi: 10.1055/s-0028-1111309. [DOI] [PubMed] [Google Scholar]
- SHWARTZMAN G. Poliomyelitis infection in cortisone-treated hamsters induced by the intraperitoneal route. Proc Soc Exp Biol Med. 1952 Apr;79(4):573–576. doi: 10.3181/00379727-79-19451. [DOI] [PubMed] [Google Scholar]
- SULKIN S. E., KRUTZSCH P. H., ALLEN R., WALLIS C. Studies on the pathogenesis of rabies in insectivorous bats. I. Role of brown adipose tissue. J Exp Med. 1959 Sep 1;110:369–388. doi: 10.1084/jem.110.3.369. [DOI] [PMC free article] [PubMed] [Google Scholar]
- Smith W. G. Coxsackie B myopericarditis in adults. Am Heart J. 1970 Jul;80(1):34–46. doi: 10.1016/0002-8703(70)90035-9. [DOI] [PubMed] [Google Scholar]
- Smith W. G. Coxsackie heart disease in adults. Am Heart J. 1967 Apr;73(4):439–440. doi: 10.1016/0002-8703(67)90197-4. [DOI] [PubMed] [Google Scholar]
- WENNER H. A., LOU T. Y., KAMITSUKA P. S. Experimental infections with Coxsackie viruses. I. Studies on virulence and pathogenesis in Cynomolgus monkeys. Arch Gesamte Virusforsch. 1961;10:426–450. [PubMed] [Google Scholar]
- Woodward T. E., Togo Y., Lee Y. C., Hornick R. B. Specific microbial infections of the myocardium and pericardium. A study of 82 patients. Arch Intern Med. 1967 Sep;120(3):270–279. [PubMed] [Google Scholar]