Abstract
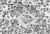
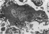
Using horse-radish peroxidase (HRP)-anti-HRP immune complexes, 'antigen trapping' was studied in the spleen of the turtle, Chrysemys scripta elegans. It was found that antigen-trapping cells were situated in the periellipsoidal lymphocyte sheath of the white pulp only. The antigen-trapping cells have a dendritic character and a large lobulated nucleus. Carbon injections revealed that these cells do not phagocytose. The results are discussed with respect to the phylogeny of antigen-trapping cells.
Full text
PDF







Images in this article
Selected References
These references are in PubMed. This may not be the complete list of references from this article.
- Baldwin W. M., 3rd, Cohen N. A giant cell with dendritic cell properties in spleens of the anuran amphibian Xenopus laevis. Dev Comp Immunol. 1981 Summer;5(3):461–473. doi: 10.1016/s0145-305x(81)80058-4. [DOI] [PubMed] [Google Scholar]
- Borysenko M. Cellular aspects of humoral immune responsiveness in Chelydra. Adv Exp Med Biol. 1975;64:277–291. doi: 10.1007/978-1-4684-3261-9_28. [DOI] [PubMed] [Google Scholar]
- Collie M. H. The location of soluble antigen in the spleen of Xenopus laevis. Experientia. 1974 Oct 15;30(10):1205–1207. doi: 10.1007/BF01923693. [DOI] [PubMed] [Google Scholar]
- Diener E., Marchalonis J. Cellular and humoral aspects of the primary immune response of the toad, Bufo marinus. Immunology. 1970 Feb;18(2):279–293. [PMC free article] [PubMed] [Google Scholar]
- Diener E., Nossal G. J. Phylogenetic studies on the immune response. I. Localization of antigens and immune response in the toad, Bufo marinus. Immunology. 1966 Jun;10(6):535–542. [PMC free article] [PubMed] [Google Scholar]
- GRAHAM R. C., Jr, LUNDHOLM U., KARNOVSKY M. J. CYTOCHEMICAL DEMONSTRATION OF PEROXIDASE ACTIVITY WITH 3-AMINO-9-ETHYLCARBAZOLE. J Histochem Cytochem. 1965 Feb;13:150–152. doi: 10.1177/13.2.150. [DOI] [PubMed] [Google Scholar]
- Gerdes J., Stein H. Complement (C3) receptors on dendritic reticulum cells of normal and malignant lymphoid tissue. Clin Exp Immunol. 1982 May;48(2):348–352. [PMC free article] [PubMed] [Google Scholar]
- Hoffmann-Fezer G., Rodt H., Götze D., Thierfelder S. Anatomical distribution of T and B lymphocytes identified by immunohistochemistry in the chicken spleen. Int Arch Allergy Appl Immunol. 1977;55(1-6):86–95. doi: 10.1159/000231914. [DOI] [PubMed] [Google Scholar]
- Horton J. D., Manning M. J. Effect of early thymectomy on the cellular changes occuring in the spleen of the clawed toad following administration of soluble antigen. Immunology. 1974 Apr;26(4):797–807. [PMC free article] [PubMed] [Google Scholar]
- Hoshi H. On the nature of the periellipsoidal lymphoid tissue of chick spleen. Tohoku J Exp Med. 1972 Mar;106(3):285–305. doi: 10.1620/tjem.106.285. [DOI] [PubMed] [Google Scholar]
- Kawaguchi S. Effectiveness of snake serum as a source of complement in the PFC assay of mouse lymphoid cells. Dev Comp Immunol. 1981 Winter;5(1):151–155. doi: 10.1016/s0145-305x(81)80017-1. [DOI] [PubMed] [Google Scholar]
- Klaus G. G., Humphrey J. H., Kunkl A., Dongworth D. W. The follicular dendritic cell: its role in antigen presentation in the generation of immunological memory. Immunol Rev. 1980;53:3–28. doi: 10.1111/j.1600-065x.1980.tb01038.x. [DOI] [PubMed] [Google Scholar]
- Kroese F. G., van Rooijen N. The architecture of the spleen of the Red-eared Slider, Chrysemys scripta elegans (Reptilia, Testudines). J Morphol. 1982 Sep;173(3):279–284. doi: 10.1002/jmor.1051730304. [DOI] [PubMed] [Google Scholar]
- Nossal G. J., Abbot A., Mitchell J., Lummus Z. Antigens in immunity. XV. Ultrastructural features of antigen capture in primary and secondary lymphoid follicles. J Exp Med. 1968 Feb 1;127(2):277–290. doi: 10.1084/jem.127.2.277. [DOI] [PMC free article] [PubMed] [Google Scholar]
- Papamichail M., Gutierrez C., Embling P., Johnson P., Holborow E. J., Pepys M. B. Complement dependence of localisation of aggregated IgG in germinal centres. Scand J Immunol. 1975;4(4):343–347. doi: 10.1111/j.1365-3083.1975.tb02635.x. [DOI] [PubMed] [Google Scholar]
- Pitchappan R. Review on the phylogeny of splenic structure and function. Dev Comp Immunol. 1980 Summer;4(3):395–416. doi: 10.1016/s0145-305x(80)80044-9. [DOI] [PubMed] [Google Scholar]
- Sailendri K., Muthukkaruppan V. Morphology of lymphoid organs in a cichlid teleost, Tilapia mossambica (Peters). J Morphol. 1975 Sep;147(1):109–121. doi: 10.1002/jmor.1051470108. [DOI] [PubMed] [Google Scholar]
- Secombes C. J., Manning M. J., Ellis A. E. Localization of immune complexes and heat-aggregated immunoglobulin in the carp Cyprinus carpio L. Immunology. 1982 Sep;47(1):101–105. [PMC free article] [PubMed] [Google Scholar]
- Tew J. G., Phipps R. P., Mandel T. E. The maintenance and regulation of the humoral immune response: persisting antigen and the role of follicular antigen-binding dendritic cells as accessory cells. Immunol Rev. 1980;53:175–201. doi: 10.1111/j.1600-065x.1980.tb01044.x. [DOI] [PubMed] [Google Scholar]
- Turner R. J., Manning M. J. Response of the toad, Xenopus laevis, to circulating antigens. Cellular changes in the spleen. J Exp Zool. 1973 Jan;183(1):21–34. doi: 10.1002/jez.1401830104. [DOI] [PubMed] [Google Scholar]
- Vos-Maas M. G., Zwart P. A technique for intravenous injection in the red-eared turtle (Pseudemys scripta elegans). Lab Anim. 1976 Oct;10(10):399–401. doi: 10.1258/002367776780956926. [DOI] [PubMed] [Google Scholar]
- White R. G., French V. I., Stark J. M. A study of the localisation of a protein antigen in the chicken spleen and its relation to the formation of germinal centres. J Med Microbiol. 1970 Feb;3(1):65–83. doi: 10.1099/00222615-3-1-65. [DOI] [PubMed] [Google Scholar]
- Zapata A., Leceta J., Barrutia M. G. Ultrastructure of splenic white pulp of the turtle, Mauremys caspica. Cell Tissue Res. 1981;220(4):845–855. doi: 10.1007/BF00210466. [DOI] [PubMed] [Google Scholar]
- van Rooijen N. Immune complexes in the spleen: three concentric follicular areas of immune complex trapping, their interrelationships and possible function. J Reticuloendothel Soc. 1977 Mar;21(3):143–151. [PubMed] [Google Scholar]




