Abstract
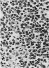
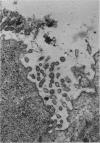
Twelve turkeys from a flock of 2,500 had cutaneous lesions somewhat resembling fowl pox. Lymphoid-like tumors were evident in livers and spleens. Closer examination of cutaneous lesions, and histopathological examinations indicated skin lesions were also infiltrative and not unlike reticuloendotheliosis. Electron micrographs revealed the presence of C-type virus particles.
Full text
PDF



Images in this article
Selected References
These references are in PubMed. This may not be the complete list of references from this article.
- Paul P. S., Pomeroy K. A., Sarma P. S., Johnson K. H., Barnes D. M., Kumar M. C., Pomeroy B. S. Naturally occurring reticuloendotheliosis in turkeys: transmission. J Natl Cancer Inst. 1976 Feb;56(2):419–422. doi: 10.1093/jnci/56.2.419. [DOI] [PubMed] [Google Scholar]
- Robinson F. R., Twiehaus M. J. Isolation of tha avian reticuloendothelial virus (strain T). Avian Dis. 1974 Apr-Jun;18(2):278–288. [PubMed] [Google Scholar]
- SIMPSON C. F., ANTHONY D. W., YOUNG F. Visceral lymphomatosis in a flock of turkeys. J Am Vet Med Assoc. 1957 Jan 15;130(2):93–96. [PubMed] [Google Scholar]
- Sarma P. S., Jain D. K., Mishra N. K., Vernon M. L., Paul P. S., Pomeroy B. S. Isolation and characterization of viruses from natural outbreaks of reticuloendotheliosis in turkeys. J Natl Cancer Inst. 1975 Jun;54(6):1355–1359. doi: 10.1093/jnci/54.6.1355. [DOI] [PubMed] [Google Scholar]
- Solomon J. J., Witter R. L., Nazerian K. Studies on the etiology of lymphomas in turkeys: isolation of reticuloendotheliosis in virus. Avian Dis. 1976 Oct-Dec;20(4):735–747. [PubMed] [Google Scholar]
- Temin H. M., Kassner V. K. Replication of reticuloendotheliosis viruses in cell culture: acute infection. J Virol. 1974 Feb;13(2):291–297. doi: 10.1128/jvi.13.2.291-297.1974. [DOI] [PMC free article] [PubMed] [Google Scholar]
- Witter R. L., Solomon J. J., Sharma J. M. Response of turkeys to infection with virulent Marek's disease viruses of turkey and chicken origins. Am J Vet Res. 1974 Oct;35(10):1325–1332. [PubMed] [Google Scholar]






