Abstract
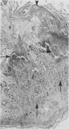
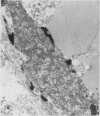
Two calves and a feedlot steer with systemic bovine adenovirus infection had hemorrhagic and necrotizing lesions confined to the digestive tract. In one calf there was severe, multifocal, necrotizing, hemorrhagic rumenitis, omasitis, abomasitis, enteritis and colitis. Small intestinal lesions were predominantly in Peyer's patches. Multifocal necrotizing abomasitis was the principal change in the other calf. Large amphophilic intranuclear inclusions typical of bovine adenovirus were common in swollen vascular endothelial cells. Bovine adenovirus was isolated from the former calf.
The steer had diffuse hemorrhagic enterocolitis and large numbers of BAV inclusions in vascular endothelial cells of the intestinal lamina propria. Serum-neutralization tests to bovine adenovirus type 3 on acute and convalescent samples from six clinically affected in—contact animals revealed fourfold elevations in two.
Full text
PDF



Images in this article
Selected References
These references are in PubMed. This may not be the complete list of references from this article.
- Bibrack B., McKercher D. G. Serologic evidence for adenovirus infection in California cattle. Am J Vet Res. 1971 May;32(5):805–807. [PubMed] [Google Scholar]
- Bulmer W. S., Tsai K. S., Little P. B. Adenovirus infection in two calves. J Am Vet Med Assoc. 1975 Feb 1;166(3):233–238. [PubMed] [Google Scholar]
- Cole A. M. Experimental adenovirus pneumonia in calves. Aust Vet J. 1971 Jul;47(7):306–311. doi: 10.1111/j.1751-0813.1971.tb15499.x. [DOI] [PubMed] [Google Scholar]
- Cole A. M. The isolation of adenoviruses from calves with pneumonia. Aust Vet J. 1970 Dec;46(12):569–575. doi: 10.1111/j.1751-0813.1970.tb06658.x. [DOI] [PubMed] [Google Scholar]
- Cutlip R. C., McClurkin A. W. Lesions and pathogenesis of disease in young calves experimentally induced by a bovine adenovirus type 5 isolated from a calf with weak calf syndrome. Am J Vet Res. 1975 Aug;36(08):1095–1098. [PubMed] [Google Scholar]
- Darbyshire J. H., Jennings A. R., Dawson P. S., Lamont P. H., Omar A. R. The pathogenesis and pathology of infection in calves with a strain of bovine adenovirus type 3. Res Vet Sci. 1966 Jan;7(1):81–93. [PubMed] [Google Scholar]
- Fujiwara H., Konno S. Histopathology of an enzootic diarrheal disease in cattle. Natl Inst Anim Health Q (Tokyo) 1968 Spring;8(1):16–25. [PubMed] [Google Scholar]
- Horner G. W., Hunter R., Thompson E. J. Isolation and characterization of a new adenovirus serotype from a yearling heifer with systemic infection. N Z Vet J. 1980 Aug;28(8):165–167. doi: 10.1080/00480169.1980.34733. [DOI] [PubMed] [Google Scholar]
- Mohanty S. B. Comparative study of bovine adenoviruses. Am J Vet Res. 1971 Dec;32(12):1899–1905. [PubMed] [Google Scholar]
- Pavlov N. Pathohistologisches Bild der Adenovirusinfektion bei Kälbern. Arch Exp Veterinarmed. 1979;33(2):253–261. [PubMed] [Google Scholar]
- Reed D. E., Wheeler J. G., Lupton H. W. Isolation of bovine adenovirus type 7 from calves with pneumonia and enteritis. Am J Vet Res. 1978 Dec;39(12):1968–1971. [PubMed] [Google Scholar]
- Stauber E., Card C. Experimental intraamnionic exposure of bovine fetuses with subgroup 2, type 7 Adenovirus. Can J Comp Med. 1978 Oct;42(4):466–472. [PMC free article] [PubMed] [Google Scholar]
- Tanaka Y., Inaba Y., Ito Y., Omori T., Matsumoto M. Bovine adenovirus. I. Recovery of a serotype, Nagano, from Japanese cattle. Jpn J Microbiol. 1968 Mar;12(1):77–95. [PubMed] [Google Scholar]




