Abstract
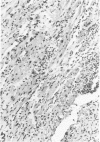
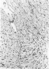
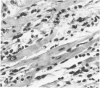
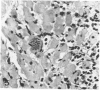
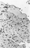
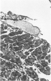
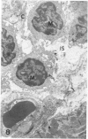
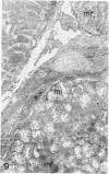
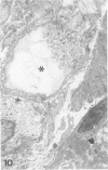
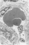
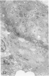
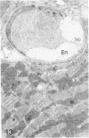
In male BALB/c mice aged 5-6 weeks inoculated three times at intervals of 15 days with 1 X 10(7) epimastigote forms of the PF strain of Trypanosoma cruzi and challenged 30 days after the last inoculation with 2 X 10(4) trypomastigote forms of the Colombia strain of T cruzi (the mice were sacrificed 80-100 days after the challenge) a cardiomyopathy very similar to that observed in the chronic phase of Chagas' disease in man develops. The cardiac syndrome is characterized grossly by cardiomegaly with hypertrophy, dilatation of ventricular chambers, and thinning of the apex of the left ventricle (apical aneurysm) and microscopically by focal areas of myocytolytic necrosis and myocardial degeneration with an inflammatory response composed of mononuclear cells (predominantly macrophages and a few lymphocytes) with concurrent interstitial fibrosis and occasional myofibers containing pseudocysts. In addition, aggregated platelets and occlusive thrombi were found in small epicardial and intramyocardial vessels of infected mice as compared with controls. The potential role of intravascular platelet aggregation in the causation of focal myocardial necrosis and degeneration and apical aneurysm in experimental T cruzi cardiomyopathy in BALB/c mice is discussed.
Full text
PDF







Images in this article
Selected References
These references are in PubMed. This may not be the complete list of references from this article.
- Andrade S. G., Andrade Z. A. Aspectos anátomo-patológicos e resposta terapêutica na infecço chagásica crõnica experimental. Rev Inst Med Trop Sao Paulo. 1976 Jul-Aug;18(4):268–275. [PubMed] [Google Scholar]
- Andrade Z. A., Andrade S. G., Oliveira G. B., Alonso D. R. Histopathology of the conducting tissue of the heart in Chagas' myocarditis. Am Heart J. 1978 Mar;95(3):316–324. doi: 10.1016/0002-8703(78)90362-9. [DOI] [PubMed] [Google Scholar]
- Baroldi G., Falzi G., Mariani F. Sudden coronary death. A postmortem study in 208 selected cases compared to 97 "control" subjects. Am Heart J. 1979 Jul;98(1):20–31. doi: 10.1016/0002-8703(79)90316-8. [DOI] [PubMed] [Google Scholar]
- Benveniste J., Henson P. M., Cochrane C. G. Leukocyte-dependent histamine release from rabbit platelets. The role of IgE, basophils, and a platelet-activating factor. J Exp Med. 1972 Dec 1;136(6):1356–1377. doi: 10.1084/jem.136.6.1356. [DOI] [PMC free article] [PubMed] [Google Scholar]
- Brune K., Glatt M., Kälin H., Peskar B. A. Pharmacological control of prostaglandin and thromboxane release from macrophages. Nature. 1978 Jul 20;274(5668):261–263. doi: 10.1038/274261a0. [DOI] [PubMed] [Google Scholar]
- Bulkely B. H., Hutchins G. M. Myocardial consequences of coronary artery bypass graft surgery. The paradox of necrosis in areas of revascularization. Circulation. 1977 Dec;56(6):906–913. doi: 10.1161/01.cir.56.6.906. [DOI] [PubMed] [Google Scholar]
- Carrasco H. A., Barboza J. S., Inglessis G., Fuenmayor A., Molina C. Left ventricular cineangiography in Chagas' disease: detection of early myocardial damage. Am Heart J. 1982 Sep;104(3):595–602. doi: 10.1016/0002-8703(82)90232-0. [DOI] [PubMed] [Google Scholar]
- Carstairs K. C. The identification of platelets and platelet antigens in histological sections. J Pathol Bacteriol. 1965 Jul;90(1):225–231. doi: 10.1002/path.1700900124. [DOI] [PubMed] [Google Scholar]
- Chignard M., Vargaftig B. B., Benveniste J., Le Couedic J. P. L'agrégation plaquettaire et le platelet-activating factor. J Pharmacol. 1980 Oct-Dec;11(4):371–377. [PubMed] [Google Scholar]
- Cossio P. M., Laguens R. P., Diez C., Szarfman A., Segal A., Arana R. M. Chagasic cardiopathy. Antibodies reacting with plasma membrane of striated muscle and endothelial cells. Circulation. 1974 Dec;50(6):1252–1259. doi: 10.1161/01.cir.50.6.1252. [DOI] [PubMed] [Google Scholar]
- FEDERICI E. E., ABELMANN W. H., NEVA F. A. CHRONIC AND PROGRESSIVE MYOCARDITIS AND MYOSITIS IN C3H MICE INFECTED WITH TRYPANOSOMA CRUZI. Am J Trop Med Hyg. 1964 Mar;13:272–280. doi: 10.4269/ajtmh.1964.13.272. [DOI] [PubMed] [Google Scholar]
- HUGHES A., TONKS R. S. Intravascular platelet clumping in rabbits. J Pathol Bacteriol. 1962 Oct;84:379–390. doi: 10.1002/path.1700840212. [DOI] [PubMed] [Google Scholar]
- Haerem J. W. Sudden, unexpected coronary death. The occurrence of platelet aggregates in the epicardial and myocardial vessels of man. Acta Pathol Microbiol Scand Suppl. 1978;(265):1–47. [PubMed] [Google Scholar]
- Jennings R. B., Ganote C. E. Structural changes in myocardium during acute ischemia. Circ Res. 1974 Sep;35 (Suppl 3):156–172. [PubMed] [Google Scholar]
- Jorgensen L., Hovig T., Rowsell H. C., Mustard J. F. Adenosine diphosphate-induced platelet aggregation and vascular injury in swine and rabbits. Am J Pathol. 1970 Nov;61(2):161–176. [PMC free article] [PubMed] [Google Scholar]
- Jorgensen L., Rowsell H. C., Hovig T., Glynn M. F., Mustard J. F. Adenosine diphosphate-induced platelet aggregation and myocardial infarction in swine. Lab Invest. 1967 Dec;17(6):616–644. [PubMed] [Google Scholar]
- Kumar R., Kline I. K., Abelmann W. H. Experimental Trypanosoma cruzi myocarditis: relative effects upon the right and left ventricles. Am J Pathol. 1969 Oct;57(1):31–48. [PMC free article] [PubMed] [Google Scholar]
- Köberle F. Chagas' disease and Chagas' syndromes: the pathology of American trypanosomiasis. Adv Parasitol. 1968;6:63–116. doi: 10.1016/s0065-308x(08)60472-8. [DOI] [PubMed] [Google Scholar]
- MOORE D. H., RUSKA H. Electron microscope study of mammalian cardiac muscle cells. J Biophys Biochem Cytol. 1957 Mar 25;3(2):261–268. doi: 10.1083/jcb.3.2.261. [DOI] [PMC free article] [PubMed] [Google Scholar]
- MUSTARD J. F., HEGARDT B., ROWSELL H. C., MACMILLAN R. L. EFFECT OF ADENOSINE NUCLEOTIDES ON PLATELET AGGREGATION AND CLOTTING TIME. J Lab Clin Med. 1964 Oct;64:548–559. [PubMed] [Google Scholar]
- Mencia-Huerta J. M., Benveniste J. Platelet-activating factor (PAF-acether) and macrophages. II. Phagocytosis-associated release of PAF-acether from rat peritoneal macrophages. Cell Immunol. 1981 Jan 15;57(2):281–292. doi: 10.1016/0008-8749(81)90087-3. [DOI] [PubMed] [Google Scholar]
- Ridolfi R. L., Hutchins G. M., Bell W. R. The heart and cardiac conduction system in thrombotic thrombocytopenic purpura. A clinicopathologic study of 17 autopsied patients. Ann Intern Med. 1979 Sep;91(3):357–363. doi: 10.7326/0003-4819-91-3-357. [DOI] [PubMed] [Google Scholar]
- SCHLESINGER M. J., REINER L. Focal myocytolysis of the heart. Am J Pathol. 1955 May-Jun;31(3):443–459. [PMC free article] [PubMed] [Google Scholar]
- TORRES C. M. Arterioloscerose das finas ramificaçes arterials do miocárdic (coronarite chagásica) e miocitolise focal do miocárdio na cardiopatia chagásica cronica. Hospital (Rio J) 1958 Nov;54(5):597–610. [PubMed] [Google Scholar]
- TORRES C. M. Myocytolysis and fibrosis of the myocardium in Chagas' disease. Mem Inst Oswaldo Cruz. 1960 Nov;58:161–182. doi: 10.1590/s0074-02761960000200004. [DOI] [PubMed] [Google Scholar]
- Teixeira A. R., Teixeira M. L., Santos-Buch C. A. The immunology of experimental Chagas' disease. IV. Production of lesions in rabbits similar to those of chronic Chagas' disease in man. Am J Pathol. 1975 Jul;80(1):163–180. [PMC free article] [PubMed] [Google Scholar]
- Vargaftig B. B., Chignard M., Benveniste J., Lefort J., Wal F. Background and present status of research on platelet-activating factor (PAF-acether). Ann N Y Acad Sci. 1981;370:119–137. doi: 10.1111/j.1749-6632.1981.tb29727.x. [DOI] [PubMed] [Google Scholar]













