Abstract
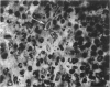
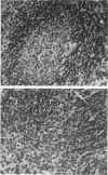
Spleens from C3D2F1 mice acutely infected with murine cytomegalovirus (MCMV) were examined for mechanisms of viral clearance and alteration of immune function. Inclusion-bearing cells in the perifollicular marginal zone were found to peak at Day 3 after infection and to be associated with infiltrates of polymorphonuclear leukocytes (PMNs). Inclusions and PMNs were cleared by Day 6. Hematopoietic islands, although not impinged upon, could not be found by Day 3 after infection but reappeared and were considerably enlarged by Day 6. Most importantly the T-dependent areas of the spleens revealed no viral inclusions and no lysis. Stimulated morphology was seen in T-dependent areas by Day 1 after infection and remained so for over 3 weeks. T-independent areas contained germinal centers at Day 4 and thereafter. Therefore, in the absence of viral cytopathologic features in the T-dependent and T-independent areas, other mechanisms must account for the immunosuppression observed during acute infection. The observations of an activated morphology are compatible with other data demonstrating an alteration in immunoregulation as the mechanism for the immunosuppression associated with MCMV infection.
Full text
PDF







Images in this article
Selected References
These references are in PubMed. This may not be the complete list of references from this article.
- Booss J. Establishment of cytomegaloviral infection in mice: role of a macrophage-enriched subpopulation. J Infect Dis. 1980 Apr;141(4):466–472. doi: 10.1093/infdis/141.4.466. [DOI] [PubMed] [Google Scholar]
- Booss J., Wheelock E. F. Progressive inhibition of T-cell function preceding clinical signs of cytomegalovirus infection in mice. J Infect Dis. 1977 Mar;135(3):478–481. doi: 10.1093/infdis/135.3.478. [DOI] [PubMed] [Google Scholar]
- CONGDON C. C., MAKINODAN T. Splenic white pulp alteration after antigen injection: relation to time of serum antibody production. Am J Pathol. 1961 Dec;39:697–709. [PMC free article] [PubMed] [Google Scholar]
- Hanna M. G., Jr, Swartzendruber D. C., Congdon C. C. Morphologic changes in spleen lymphatic tissue during antibody production. Exp Mol Pathol. 1966 Apr;(Suppl):75–87. [PubMed] [Google Scholar]
- Henson D., Smith R. D., Gehrke J., Neapolitan C. Effect of cortisone on nonfatal mouse cytomegalovirus infection. Am J Pathol. 1967 Dec;51(6):1001–1011. [PMC free article] [PubMed] [Google Scholar]
- Howard R. J., Najarian J. S. Cytomegalovirus-induced immune suppression. I. Humoral immunity. Clin Exp Immunol. 1974 Sep;18(1):109–118. [PMC free article] [PubMed] [Google Scholar]
- Kelsey D. K., Olsen G. A., Overall J. C., Jr, Glasgow L. A. Alteration of host defense mechanisms by murine cytomegalovirus infection. Infect Immun. 1977 Dec;18(3):754–760. doi: 10.1128/iai.18.3.754-760.1977. [DOI] [PMC free article] [PubMed] [Google Scholar]
- Kelsey D. K., Overall J. C., Jr, Glasgow L. A. Correlation of the suppression of mitogen responsiveness and the mixed lymphocyte reaction with the proliferative response to viral antigen of splenic lymphocytes from cytomegalovirus-infected mice. J Immunol. 1978 Aug;121(2):464–470. [PubMed] [Google Scholar]
- Lodmell D. L., Niwa A., Hayashi K., Notkins A. L. Prevention of cell-to-cell spread of herpes simplex virus by leukocytes. J Exp Med. 1973 Mar 1;137(3):706–720. doi: 10.1084/jem.137.3.706. [DOI] [PMC free article] [PubMed] [Google Scholar]
- Loh L., Hudson J. B. Immunosuppressive effect of murine cytomegalovirus. Infect Immun. 1980 Jan;27(1):54–60. doi: 10.1128/iai.27.1.54-60.1980. [DOI] [PMC free article] [PubMed] [Google Scholar]
- Lumb J. R. Perspectives on the in vivo location of cellular interactions in the humoral immune response. Annu Rev Microbiol. 1979;33:439–457. doi: 10.1146/annurev.mi.33.100179.002255. [DOI] [PubMed] [Google Scholar]
- Mims C. A., Gould J. Splenic necrosis in mice infected with cytomegalovirus. J Infect Dis. 1978 May;137(5):587–591. doi: 10.1093/infdis/137.5.587. [DOI] [PubMed] [Google Scholar]
- Mitchell J. Antigens in immunity. XVII. The migration of antigen-binding, bone-marrow-derived and thymus-derived spleen cells in mice. Immunology. 1972 Feb;22(2):231–245. [PMC free article] [PubMed] [Google Scholar]
- Osborn J. E., Shahidi N. T. Thrombocytopenia in murine cytomegalovirus infection. J Lab Clin Med. 1973 Jan;81(1):53–63. [PubMed] [Google Scholar]
- Parrott D. M., De Sousa M. Thymus-dependent and thymus-independent populations: origin, migratory patterns and lifespan. Clin Exp Immunol. 1971 May;8(5):663–684. [PMC free article] [PubMed] [Google Scholar]
- Parrott D. V., De Sousa M. A., East J. Thymus-dependent areas in the lymphoid organs of neonatally thymectomized mice. J Exp Med. 1966 Jan 1;123(1):191–204. doi: 10.1084/jem.123.1.191. [DOI] [PMC free article] [PubMed] [Google Scholar]
- Quinnan G. V., Manischewitz J. E., Ennis F. A. Cytotoxic T lymphocyte response to murine cytomegalovirus infection. Nature. 1978 Jun 15;273(5663):541–543. doi: 10.1038/273541a0. [DOI] [PubMed] [Google Scholar]
- Rouse B. T., Babiuk L. A., Henson P. M. Neutrophils in antiviral immunity: inhibition of virus replication by a mediator produced by bovine neutrophils. J Infect Dis. 1980 Feb;141(2):223–232. doi: 10.1093/infdis/141.2.223. [DOI] [PubMed] [Google Scholar]
- Ruebner B. H., Hirano T., Slusser R., Osborn J., Medearis D. N., Jr Cytomegalovirus infection. Viral ultrastructure with particular reference to the relationship of lysosomes to cytoplasmic inclusions. Am J Pathol. 1966 Jun;48(6):971–989. [PMC free article] [PubMed] [Google Scholar]
- Selkurt E. E. Induction of immune interferon by murine cytomegalovirus. Proc Soc Exp Biol Med. 1977 Sep;155(4):611–614. [PubMed] [Google Scholar]
- Starr S. E., Allison A. C. Role of T lymphocytes in recovery from murine cytomegalovirus infection. Infect Immun. 1977 Aug;17(2):458–462. doi: 10.1128/iai.17.2.458-462.1977. [DOI] [PMC free article] [PubMed] [Google Scholar]
- Tinghitella T. J., Booss J. Enhanced immune response late in primary cytomegalovirus infection of mice. J Immunol. 1979 Jun;122(6):2442–2446. [PubMed] [Google Scholar]



