Abstract
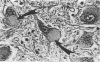
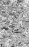
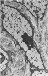
Five cats with feline alpha-L-iduronidase-deficient mucopolysaccharidosis were studied. Membrane-bound cytoplasmic inclusions were present in central nervous system neurons, hepatocytes, chondrocytes, vascular and splenic smooth muscle cells, bone marrow leukocytes, and fibroblasts of the skin, eye, and cardiac valves. The lesions in these cats closely resemble those described in human patients with mucopolysaccharidosis I H (Hurler syndrome).
Full text
PDF









Images in this article
Selected References
These references are in PubMed. This may not be the complete list of references from this article.
- BERRY H. K., SPINANGER J. A paper spot test useful in study of Hurler's syndrome. J Lab Clin Med. 1960 Jan;55:136–138. [PubMed] [Google Scholar]
- Bach G., Friedman R., Weissmann B., Neufeld E. F. The defect in the Hurler and Scheie syndromes: deficiency of -L-iduronidase. Proc Natl Acad Sci U S A. 1972 Aug;69(8):2048–2051. doi: 10.1073/pnas.69.8.2048. [DOI] [PMC free article] [PubMed] [Google Scholar]
- Baker H. J., Jr, Lindsey J. R., McKhann G. M., Farrell D. F. Neuronal GM1 gangliosidosis in a Siamese cat with beta-galactosidase deficiency. Science. 1971 Nov 19;174(4011):838–839. doi: 10.1126/science.174.4011.838. [DOI] [PubMed] [Google Scholar]
- Belcher R. W. Ultrastructure of the skin in the genetic mucopolysaccharidoses. Arch Pathol. 1972 Dec;94(6):511–518. [PubMed] [Google Scholar]
- Bergsma D. R., Brown K. S. White fur, blue eyes, and deafness in the domestic cat. J Hered. 1971 May-Jun;62(3):171–185. doi: 10.1093/jhered/62.3.171. [DOI] [PubMed] [Google Scholar]
- Bioulac P., Mercier M., Beylot C., Fontan D. The diagnosis of mucopolysaccharidoses by electron microscopy of skin biopsies. J Cutan Pathol. 1975;2(4):179–190. doi: 10.1111/j.1600-0560.1975.tb00161.x. [DOI] [PubMed] [Google Scholar]
- Brady R. O. Inherited metabolic storage disorders. Annu Rev Neurosci. 1982;5:33–56. doi: 10.1146/annurev.ne.05.030182.000341. [DOI] [PubMed] [Google Scholar]
- Brosius F. C., 3rd, Roberts W. C. Coronary artery disease in the Hurler syndrome. Qualitative and quantitative analysis of the extent of coronary narrowing at necropsy in six children. Am J Cardiol. 1981 Mar;47(3):649–653. doi: 10.1016/0002-9149(81)90550-6. [DOI] [PubMed] [Google Scholar]
- Callahan W. P., Lorincz A. E. Hepatic ultrastructure in the Hurler syndrome. Am J Pathol. 1966 Feb;48(2):277–298. [PMC free article] [PubMed] [Google Scholar]
- Cork L. C., Munnell J. F., Lorenz M. D., Murphy J. V., Baker H. J., Rattazzi M. C. GM2 ganglioside lysosomal storage disease in cats with beta-hexosaminidase deficiency. Science. 1977 May 27;196(4293):1014–1017. doi: 10.1126/science.404709. [DOI] [PubMed] [Google Scholar]
- Crow J. F. Advances in human genetics and impact on society. Conclusion. Birth Defects Orig Artic Ser. 1972 Jul;8(4):115–118. [PubMed] [Google Scholar]
- Dekaban A. S., Constantopoulos G., Herman M. M., Steusing J. K. Mucopolysaccharidosis type V. (Scheie syndrome). A postmortem study by multidisciplinary techniques with emphasis on the brain. Arch Pathol Lab Med. 1976 May;100(5):237–245. [PubMed] [Google Scholar]
- Dekaban A. S., Constantopoulos G. Mucopolysaccharidosis type I, II, IIIA and V. Pathological and biochemical abnormalities in the neural and mesenchymal elements of the brain. Acta Neuropathol. 1977 Jul 15;39(1):1–7. doi: 10.1007/BF00690379. [DOI] [PubMed] [Google Scholar]
- Dorfman A., Matalon R. The mucopolysaccharidoses (a review). Proc Natl Acad Sci U S A. 1976 Feb;73(2):630–637. doi: 10.1073/pnas.73.2.630. [DOI] [PMC free article] [PubMed] [Google Scholar]
- François J. Ocular manifestations of the mucopolysaccharidoses. Ophthalmologica. 1974;169(5):345–361. doi: 10.1159/000307137. [DOI] [PubMed] [Google Scholar]
- Fratantoni J. C., Hall C. W., Neufeld E. F. Hurler and Hunter syndromes: mutual correction of the defect in cultured fibroblasts. Science. 1968 Nov 1;162(3853):570–572. doi: 10.1126/science.162.3853.570. [DOI] [PubMed] [Google Scholar]
- Genetic heterogeneity and allelic variation in the mucopolysaccharidoses. Introduction. Johns Hopkins Med J. 1980 Feb;146(2):71–72. [PubMed] [Google Scholar]
- Goldfischer S., Coltoff-Schiller B., Biempica L., Wolinsky H. Lysosomes and the sclerotic arterial lesion in Hurler's disease. Hum Pathol. 1975 Sep;6(5):633–637. doi: 10.1016/s0046-8177(75)80047-5. [DOI] [PubMed] [Google Scholar]
- Haskins M. E., Aguirre G. D., Jezyk P. F., Patterson D. F. The pathology of the feline model of mucopolysaccharidosis VI. Am J Pathol. 1980 Dec;101(3):657–674. [PMC free article] [PubMed] [Google Scholar]
- Haskins M. E., Jezyk P. F., Desnick R. J., McDonough S. K., Patterson D. F. Alpha-L-iduronidase deficiency in a cat: a model of mucopolysaccharidosis I. Pediatr Res. 1979 Nov;13(11):1294–1297. doi: 10.1203/00006450-197911000-00018. [DOI] [PubMed] [Google Scholar]
- Haskins M. E., Jezyk P. F., Patterson D. F. Mucopolysaccharide storage disease in three families of cats with arylsulfatase B deficiency: leukocyte studies and carrier identification. Pediatr Res. 1979 Nov;13(11):1203–1210. doi: 10.1203/00006450-197911000-00001. [DOI] [PubMed] [Google Scholar]
- Haust M. D., Orizaga M., Bryans A. M., Frank H. F. The fine structure of liver in children with Hurler's syndrome. Exp Mol Pathol. 1969 Apr;10(2):141–161. doi: 10.1016/0014-4800(69)90036-7. [DOI] [PubMed] [Google Scholar]
- Hopwood J. J., Muller V. Biochemical discrimination of Hurler and Scheie syndromes. Clin Sci (Lond) 1979 Sep;57(3):265–272. doi: 10.1042/cs0570265. [DOI] [PubMed] [Google Scholar]
- Jezyk P. F., Haskins M. E., Patterson D. F., Mellman W. J., Greenstein M. Mucopolysaccharidosis in a cat with arylsulfatase B deficiency: a model of Maroteaux-Lamy syndrome. Science. 1977 Nov 25;198(4319):834–836. doi: 10.1126/science.144321. [DOI] [PubMed] [Google Scholar]
- Kaibara N., Eguchi M., Shibata K., Takagishi K. Hurler-Scheie phenotype: a report of two pairs of inbred sibs. Hum Genet. 1979;53(1):37–41. doi: 10.1007/BF00289448. [DOI] [PubMed] [Google Scholar]
- Kenyon K. R., Quigley H. A., Hussels I. E., Wyllie R. G., Goldberg M. F. The systemic mucopolysaccharidoses. Ultrastructural and histochemical studies of conjunctiva and skin. Am J Ophthalmol. 1972 Jun;73(6):811–833. [PubMed] [Google Scholar]
- Kenyon K. R., Topping T. M., Green W. R., Maumenee A. E. Ocular pathology of the Maroteaux-Lamy syndrome (systemic mucopolysaccharidosis type VI). Histologic and ultrastructural report of two cases. Am J Ophthalmol. 1972 May;73(5):718–741. doi: 10.1016/0002-9394(72)90390-x. [DOI] [PubMed] [Google Scholar]
- LUGINBUHL H. Studies on meningiomas in cats. Am J Vet Res. 1961 Nov;22:1030–1040. [PubMed] [Google Scholar]
- Lamon J. M., Trojak J. E., Abbott M. A. Bone cysts in mucopolysaccharidosis I S (Scheie syndrome). Johns Hopkins Med J. 1980 Feb;146(2):73–75. [PubMed] [Google Scholar]
- Markesbery W. R., Robinson R. O., Falace P. V., Frye M. D. Mucopolysaccharidoses: ultrastructure of leukocyte inclusions. Ann Neurol. 1980 Sep;8(3):332–336. doi: 10.1002/ana.410080320. [DOI] [PubMed] [Google Scholar]
- Martin J. J., Ceuterick C. Morphological study of skin biopsy specimens: a contribution to the diagnosis of metabolic disorders with involvement of the nervous system. J Neurol Neurosurg Psychiatry. 1978 Mar;41(3):232–248. doi: 10.1136/jnnp.41.3.232. [DOI] [PMC free article] [PubMed] [Google Scholar]
- Murata F., Wohltman H., Spicer S. S., Nagata T. Fine structural and ultracytochemical studies on the lymphocytes in three types of genetic mucopolysaccharidoses. Virchows Arch B Cell Pathol. 1977 Oct 7;25(1):61–73. doi: 10.1007/BF02889421. [DOI] [PubMed] [Google Scholar]
- Purpura D. P., Suzuki K. Distortion of neuronal geometry and formation of aberrant synapses in neuronal storage disease. Brain Res. 1976 Oct 29;116(1):1–21. doi: 10.1016/0006-8993(76)90245-6. [DOI] [PubMed] [Google Scholar]
- Rentería V. G., Ferrans V. J., Roberts W. C. The heart in the Hurler syndrome: gross, histologic and ultrastructural observations in five necropsy cases. Am J Cardiol. 1976 Oct;38(4):487–501. doi: 10.1016/0002-9149(76)90468-9. [DOI] [PubMed] [Google Scholar]
- Rimoin D. L., Hollister D. W., Lachman R. S., Kaufman R. L., McAlister W. H., Rosenthal R. E., Hughes G. N. Histologic studies in the chondrodystrophies. Birth Defects Orig Artic Ser. 1974;10(12):274–295. [PubMed] [Google Scholar]
- SCHEIE H. G., HAMBRICK G. W., Jr, BARNESS L. A. A newly recognized forme fruste of Hurler's disease (gargoylism). Am J Ophthalmol. 1962 May;53:753–769. [PubMed] [Google Scholar]
- Silberberg R., Rimoin D. L., Rosenthal R. E., Hasler M. B. Ultrastructure of cartilage in the Hurler and Sanfilippo syndromes. Arch Pathol. 1972 Dec;94(6):500–510. [PubMed] [Google Scholar]
- Silberberg R. Ultrastructure of cartilage in chondrodystrophies. Birth Defects Orig Artic Ser. 1974;10(12):306–313. [PubMed] [Google Scholar]
- Spurr A. R. A low-viscosity epoxy resin embedding medium for electron microscopy. J Ultrastruct Res. 1969 Jan;26(1):31–43. doi: 10.1016/s0022-5320(69)90033-1. [DOI] [PubMed] [Google Scholar]
- Vandevelde M., Fankhauser R., Bichsel P., Wiesmann U., Herschkowitz N. Hereditary neurovisceral mannosidosis associated with alpha-mannosidase deficiency in a family of Persian cats. Acta Neuropathol. 1982;58(1):64–68. doi: 10.1007/BF00692699. [DOI] [PubMed] [Google Scholar]
- Wassman E. R., Johnson K., Shapiro L. J., Itabashi H., Rimoin D. L. Postmortem findings in the Hurler-Scheie syndrome (mucopolysaccharidosis I-H/S). Birth Defects Orig Artic Ser. 1982;18(3B):13–18. [PubMed] [Google Scholar]
- Wenger D. A., Sattler M., Kudoh T., Snyder S. P., Kingston R. S. Niemann-Pick disease: a genetic model in Siamese cats. Science. 1980 Jun 27;208(4451):1471–1473. doi: 10.1126/science.7189903. [DOI] [PubMed] [Google Scholar]
- Wiesmann U., Neufeld E. F. Scheie and Hurler syndromes: apparent identity of the biochemical defect. Science. 1970 Jul 3;169(3940):72–74. doi: 10.1126/science.169.3940.72. [DOI] [PubMed] [Google Scholar]
- Winters P. R., Harrod M. J., Molenich-Heetred S. A., Kirkpatrick J., Rosenberg R. N. alpha-L-iduronidase deficiency and possible Hurler-Scheie genetic compound. Clinical, pathologic, and biochemical findings. Neurology. 1976 Nov;26(11):1003–1007. doi: 10.1212/wnl.26.11.1003. [DOI] [PubMed] [Google Scholar]













