Abstract
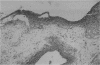
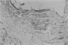
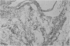
Postanesthetic pain is a relatively common complication after local anesthesia. This complication may be caused by the anesthetic technique or by the anesthetic solution used. Tissue reactions induced by the anesthetic solutions may be one of the factors resulting in pain after anesthesia. The objective of this study was to comparatively analyze tissue reactions induced by different anesthetic solutions in the subcutaneous tissue of rats. The following solutions were utilized: 2% lidocaine without vasoconstrictor; a 0.5% bupivacaine solution with 1:200,000 adrenaline; a 4% articaine solution and 2% mepivacaine, both with 1:100,000 adrenaline; and a 0.9% sodium chloride solution as a control. Sterilized absorbent paper cones packed inside polyethylene tubes were soaked in the solutions and implanted in the subcutaneous region. The sacrifice periods were 1, 2, 5, and 10 days after surgery. The specimens were prepared and stained with hematoxylin and eosin for histological analysis. The results showed that there is a difference in tissue irritability produced by the local anesthetic solutions. The results also showed that there is no relation between the concentration of the drug and the inflammatory intensity, that the mepivacaine and articaine solutions promoted less inflammatory reaction than the bupivacaine, and that the lidocaine solution produced the least intense inflammation.
Full text
PDF











Images in this article
Selected References
These references are in PubMed. This may not be the complete list of references from this article.
- Aldrete J. A., Johnson D. A. Evaluation of intracutaneous testing for investigation of allergy to local anesthetic agents. Anesth Analg. 1970 Jan-Feb;49(1):173–183. [PubMed] [Google Scholar]
- Bennett C. R. Anesthetic management. Historical, present, future. Dent Clin North Am. 1987 Jan;31(1):81–95. [PubMed] [Google Scholar]
- Benoit P. W., Belt W. D. Destruction and regeneration of skeletal muscle after treatment with a local anaesthetic, bupivacaine (Marcaine). J Anat. 1970 Nov;107(Pt 3):547–556. [PMC free article] [PubMed] [Google Scholar]
- Benoit P. W., Belt W. D. Some effects of local anesthetic agents on skeletal muscle. Exp Neurol. 1972 Feb;34(2):264–278. doi: 10.1016/0014-4886(72)90173-2. [DOI] [PubMed] [Google Scholar]
- Benoit P. W. Reversible skeletal muscle damage after administration of local anesthetics with and without epinephrine. J Oral Surg. 1978 Mar;36(3):198–201. [PubMed] [Google Scholar]
- Burke G. W., Fedison J. R., Jones C. R. Muscle degeneration produced by local anesthetics. Va Dent J. 1972 Feb;49(1):33–37. [PubMed] [Google Scholar]
- De Carvalho A. C., Okamoto T., Saad Neto M. Reaço tecido conjuntivo subcutâneo a alguns anestésicos locais. Estudo histológico em ratos. Rev Fac Odontol Aracatuba. 1976;5(1-2):53–61. [PubMed] [Google Scholar]
- Esmerino L. A., Ranali J., Rodrigues A. L., Jr Blood glucose determination in normal and alloxan-diabetic rats after administration of local anesthetics containing vasoconstrictors. Braz Dent J. 1998;9(1):33–37. [PubMed] [Google Scholar]
- Gazi H. A., Nayak R. G., Bhat K. S. Tissue-irritation potential of dilute formocresol. Oral Surg Oral Med Oral Pathol. 1981 Jan;51(1):74–85. doi: 10.1016/0030-4220(81)90129-8. [DOI] [PubMed] [Google Scholar]
- HOLROYD S. V., WATTS D. T. Production of edema in rats by local anesthetics. J Dent Res. 1963 Mar-Apr;42:686–692. doi: 10.1177/00220345630420021701. [DOI] [PubMed] [Google Scholar]
- Jorkjend L., Skoglund L. A. Infiltrated lidocaine 2% with epinephrine 1:80,000 causes more postoperative pain than lidocaine 2% after oral soft tissue surgery. Anesth Prog. 1999 Spring;46(2):71–76. [PMC free article] [PubMed] [Google Scholar]
- Kramp L. F., Eleazer P. D., Scheetz J. P. Evaluation of prilocaine for the reduction of pain associated with transmucosal anesthetic administration. Anesth Prog. 1999 Spring;46(2):52–55. [PMC free article] [PubMed] [Google Scholar]
- Libelius R., Sonesson B., Stamenović B. A., Thesleff S. Denervation-like changes in skeletal muscle after treatment with a local anaesthetic (Marchaine). J Anat. 1970 Mar;106(Pt 2):297–309. [PMC free article] [PubMed] [Google Scholar]
- Lustig J. P., Zusman S. P. Immediate complications of local anesthetic administered to 1,007 consecutive patients. J Am Dent Assoc. 1999 Apr;130(4):496–499. doi: 10.14219/jada.archive.1999.0243. [DOI] [PubMed] [Google Scholar]
- Malamed S. F., Gagnon S., Leblanc D. Efficacy of articaine: a new amide local anesthetic. J Am Dent Assoc. 2000 May;131(5):635–642. doi: 10.14219/jada.archive.2000.0237. [DOI] [PubMed] [Google Scholar]
- Malamed S. F. Local anesthetics: dentistry's most important drugs. J Am Dent Assoc. 1994 Dec;125(12):1571–1576. doi: 10.14219/jada.archive.1994.0233. [DOI] [PubMed] [Google Scholar]
- McCaughey W. Adverse effects of local anaesthetics. Drug Saf. 1992 May-Jun;7(3):178–189. doi: 10.2165/00002018-199207030-00003. [DOI] [PubMed] [Google Scholar]
- Neder A. C., Garlipp O. F., Arruda J. V. Estudos experimentais e clinicos do Citanest com Octapressin, nas anestesias parciais. Rev Assoc Paul Cir Dent. 1974 Jul-Aug;28(4):228–230. [PubMed] [Google Scholar]
- Pogrel M. A., Bryan J., Regezi J. Nerve damage associated with inferior alveolar nerve blocks. J Am Dent Assoc. 1995 Aug;126(8):1150–1155. doi: 10.14219/jada.archive.1995.0336. [DOI] [PubMed] [Google Scholar]
- Skoglund L. A., Jorkjend L. Postoperative pain experience after gingivectomies using different combinations of local anaesthetic agents and periodontal dressings. J Clin Periodontol. 1991 Mar;18(3):204–209. doi: 10.1111/j.1600-051x.1991.tb01135.x. [DOI] [PubMed] [Google Scholar]
- Sokoll M. D., Sonesson B., Thesleff S. Denervation changes produced in an innervated skeletal muscle by long-continued treatment with a local anesthetic. Eur J Pharmacol. 1968 Sep;4(2):179–187. doi: 10.1016/0014-2999(68)90175-1. [DOI] [PubMed] [Google Scholar]
- Spångberg L. Biological effects of root canal filling materials. 7. Reaction of bony tissue to implanted root canal filling material in guineapigs. Odontol Tidskr. 1969 Apr 15;77(2):133–159. [PubMed] [Google Scholar]
- Torneck C. D. Reaction of rat connective tissue to polyethylene tube implants. I. Oral Surg Oral Med Oral Pathol. 1966 Mar;21(3):379–387. doi: 10.1016/0030-4220(66)90077-6. [DOI] [PubMed] [Google Scholar]
- Torneck C. D. Reaction of rat connective tissue to polyethylene tube implants. II. Oral Surg Oral Med Oral Pathol. 1967 Nov;24(5):674–683. doi: 10.1016/0030-4220(67)90215-0. [DOI] [PubMed] [Google Scholar]
- Wolfson E. M., Seltzer S. Reaction of rat connective tissue to some gutta-percha formulations. J Endod. 1975 Dec;1(12):395–402. doi: 10.1016/S0099-2399(75)80158-0. [DOI] [PubMed] [Google Scholar]











