Abstract
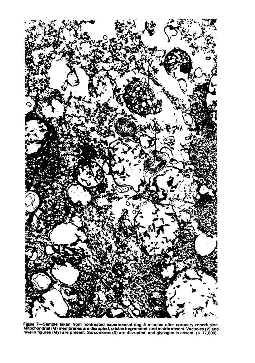
The effects of lidocaine infusion on the ultrastructural damage induced in cardiac muscle by normothermic cardiopulmonary bypass were assessed in 15 dogs. Six dogs received no medication other than sodium pentobarbital (25 mg/kg, intravenously) while 9 dogs were treated with lidocaine after anesthesia. Lidocaine was given as a 2-mg/kg loading dose 10 minutes prior to ischemic arrest and a 2-mg/min continuous infusion during the entire experimental period. Biopsy samples of the left ventricular apex were taken 15 and 45 minutes after the start of ischemic arrest and 5 minutes after resumption of coronary blood flow. Biopsy samples were also obtained from 4 animals after thoracotomy to serve as controls for experimental procedures. Myocardial ultrastructure in the 4 control animals was comparable to that reported by other investigators. Five of 6 of the nontreated dogs and 8 of 9 lidocaine-treated dogs survived the entire period of ischemia and 5 minutes of coronary reperfusion. However, the extent of ultrastructural damage varied considerably between the two groups. In the experimental dogs receiving no lidocaine, mitochondria were swollen, cristae were absent, the mitochondrial matrix was cleared, and sarcomeres were disrupted. Myelin figures and contraction bands were also observed. None of the surviving lidocaine-treated animals had ultrastructural changes comparable to the worst ones in nontreated dogs. Damage was limited to some swelling of mitochondria with focal clearing of matrix. Most cristae remained intact. There were no myelin figures and few contraction bands. The results suggest that lidocaine protects the integrity of ischemic myocardium. It is suggested that this protection resulted from stabilization of plasma and/or mitochondrial membranes. (Am J Pathol 87:399-414, 1977).
Full text
PDF















Images in this article
Selected References
These references are in PubMed. This may not be the complete list of references from this article.
- Beardsley A., Okuda M., Lefer A. M. Absence of a cardiodynamic action of glucocorticoids in acute myocardial ischemia. J Surg Res. 1976 Jan;20(1):17–24. doi: 10.1016/0022-4804(76)90078-0. [DOI] [PubMed] [Google Scholar]
- Buckberg G. D., Olinger G. N., Mulder D. G., Maloney J. V., Jr Depressed postoperative cardiac performance. Prevention by adequate myocardial protection during cardiopulmonary bypass. J Thorac Cardiovasc Surg. 1975 Dec;70(6):974–994. [PubMed] [Google Scholar]
- Busuttil R. W., George W. J., Hewitt R. L. Protective effect of methylprednisolone on the heart during ischemic arrest. J Thorac Cardiovasc Surg. 1975 Dec;70(6):955–965. [PubMed] [Google Scholar]
- Ganote C. E., Jennings R. B., Hill M. L., Grochowski E. Experimental myocardial ischemic injury. II. Effect of in vivo ischemia on dog heart slice function in vitro. J Mol Cell Cardiol. 1976 Mar;8(3):189–204. doi: 10.1016/0022-2828(76)90036-5. [DOI] [PubMed] [Google Scholar]
- Ganote C. E., Seabra-Gomes R., Nayler W. G., Jennings R. B. Irreversible myocardial injury in anoxic perfused rat hearts. Am J Pathol. 1975 Sep;80(3):419–450. [PMC free article] [PubMed] [Google Scholar]
- Goldstein S. Letter: Pacing the WPW patient. Circulation. 1976 Jan;53(1):204–205. doi: 10.1161/01.cir.53.1.204. [DOI] [PubMed] [Google Scholar]
- Griepp R. B., Stinson E. B., Oyer P. E., Copeland J. G., Shumway N. E. The superiority of aortic cross-clamping with profound local hypothermia for myocardial protection during aorta-coronary bypass grafting. J Thorac Cardiovasc Surg. 1975 Dec;70(6):995–1009. [PubMed] [Google Scholar]
- Hoffstein S., Gennaro D. E., Fox A. C., Hirsch J., Streuli F., Weissmann G. Colloidal lanthanum as a marker for impaired plasma membrane permeability in ischemic dog myocardium. Am J Pathol. 1975 May;79(2):207–218. [PMC free article] [PubMed] [Google Scholar]
- Hoffstein S., Gennaro D. E., Weissmann G., Hirsch J., Streuli F., Fox A. C. Cytochemical localization of lysosomal enzyme activity in normal and ischemic dog myocardium. Am J Pathol. 1975 May;79(2):193–206. [PMC free article] [PubMed] [Google Scholar]
- Jennings R. B., Ganote C. E., Kloner R. A., Whalen D. A., Jr, Hamilton D. G. Explosive swelling of myocardial cells irreversibly injured by transient ischemia. Recent Adv Stud Cardiac Struct Metab. 1975;6:405–413. [PubMed] [Google Scholar]
- Johnson C. L., Schwartz A. Some effects of local anesthetics on isolated mitochondria. J Pharmacol Exp Ther. 1969 Jun;167(2):365–373. [PubMed] [Google Scholar]
- Kottmeier C. A., Wheat M. W., Jr Ultrastructural evaluation of myocardial preservation during cardiopulmonary bypass: the mitochondrion. J Thorac Cardiovasc Surg. 1966 Dec;52(6):786–797. [PubMed] [Google Scholar]
- Lichtig C., Brooks H. Myocardial ultrastructure and function during progressive early ischemia in the intact heart. J Thorac Cardiovasc Surg. 1975 Aug;70(2):309–315. [PubMed] [Google Scholar]
- Partin J. S., Benzing G., 3rd, Partin J. C. Quantitative fine structural changes in dog heart following cardiopulmonary bypass. J Mol Cell Cardiol. 1972 Aug;4(4):345–355. doi: 10.1016/0022-2828(72)90081-8. [DOI] [PubMed] [Google Scholar]
- Rona G., Boutet M., Hüttner I. Membrane permeability alterations as manifestation of early cardiac muscle cell injury. Recent Adv Stud Cardiac Struct Metab. 1975;6:439–451. [PubMed] [Google Scholar]
- Roth S., Seeman P. All lipid-soluble anaesthetics protect red cells. Nat New Biol. 1971 Jun 30;231(26):284–285. doi: 10.1038/newbio231284a0. [DOI] [PubMed] [Google Scholar]
- Roth S., Seeman P. Anesthetics expand erythrocyte membranes without causing loss of K + . Biochim Biophys Acta. 1972 Jan 17;255(1):190–198. doi: 10.1016/0005-2736(72)90021-1. [DOI] [PubMed] [Google Scholar]
- Schaper J., Hehrlein F., Thiedemann K. U., Schlipper M. Ultrastructure of human myocardium after total cardiopulmonary bypass during open-heart surgery. Recent Adv Stud Cardiac Struct Metab. 1975;6:399–404. [PubMed] [Google Scholar]
- Seeman P. The membrane actions of anesthetics and tranquilizers. Pharmacol Rev. 1972 Dec;24(4):583–655. [PubMed] [Google Scholar]
- Seppälä A. J., Saris N. E., Gauffin M. L. Inhibition of phospholipase A-induced swelling of mitochondria by local anesthetics and related agents. Biochem Pharmacol. 1971 Feb;20(2):305–313. doi: 10.1016/0006-2952(71)90065-7. [DOI] [PubMed] [Google Scholar]
- Shen A. C., Jennings R. B. Myocardial calcium and magnesium in acute ischemic injury. Am J Pathol. 1972 Jun;67(3):417–440. [PMC free article] [PubMed] [Google Scholar]
- Spath J. A., Jr, Lane D. L., Lefer A. M. Protective action of methylprednisolone on the myocardium during experimental myocardial ischemia in the cat. Circ Res. 1974 Jul;35(1):44–51. doi: 10.1161/01.res.35.1.44. [DOI] [PubMed] [Google Scholar]
- Spath J. A., Lefer A. M. Effects of dexamethasone on myocardial cells in the early phase of acute myocardial infarction. Am Heart J. 1975 Jul;90(1):50–55. doi: 10.1016/0002-8703(75)90256-2. [DOI] [PubMed] [Google Scholar]
- Stemmer E. A., Joy I., Aronow W. S., Thibault W., McCart P., Connolly J. E. Preservation of myocardial ultrastructure. J Thorac Cardiovasc Surg. 1975 Oct;70(4):666–676. [PubMed] [Google Scholar]








