Abstract
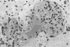
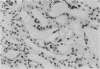
Rabbits given acute serum sickness (ASS) and treated with cyclosporin A (CyA) developed glomerular capillary thrombosis and cortical infarction, lesions not seen in unmodified ASS. Thirty-three NZW rabbits received a single intravenous injection of 250 mg/kg bovine serum albumen (BSA) with or without endotoxin (5 micrograms/kg) on day 0. Groups of rabbits were given intramuscular CyA as follows: 15 mg/kg from day -2 to +8, or 25 mg/kg/day from day -20 to +3 or day 0 to 5. Signs of this renal injury were haematuria, transient proteinuria, glycosuria and oliguria and they occurred during the rapid phase of antigen elimination when immune complexes were being formed. Seventeen of the 33 rabbits developed glomerular capillary thrombi and 11 of 17 also had glomerular and tubular infarction. Electron microscopic examination showed that these lesions were associated with severe endothelial injury and platelet-fibrin-leucocyte thrombi. These changes were more severe in the groups given 25 mg/kg. The lesions were not seen in untreated rabbits and ASS, nor in normal rabbits given equivalent doses of CyA alone. A strikingly similar renal lesion has been seen in patients receiving CyA following bone marrow transplantation, and also in the haemolytic uraemic syndrome. The model we describe may be valuable for the study of the mechanisms of endothelial injury and thrombosis in the kidney.
Full text
PDF











Images in this article
Selected References
These references are in PubMed. This may not be the complete list of references from this article.
- Dosekun A. K., First M. R., Chandran P. K., Kant K. S., Glas-Greenwalt P., Weiss M. A., Alexander J. W., Pollak V. E. Successful treatment by defibrination with ancrod in a patient with hyperacute renal allograft failure and a deficiency of plasma prostacyclin stimulating factor. Clin Nephrol. 1982 Aug;18(2):101–105. [PubMed] [Google Scholar]
- Gabbiani G., Badonnel M. C., Vassalli P. Experimental focal glomerular lesions elicited by insoluble immune complexes. Ultrastructural and immunofluorescent studies. Lab Invest. 1975 Jan;32(1):33–45. [PubMed] [Google Scholar]
- Kant K. S., Dosekun A. K., Chandran K. G., Glas-Greenwalt P., Weiss M. A., Pollak V. E. Deficiency of a plasma factor stimulating vascular prostacyclin generation in patients with lupus nephritis and glomerular thrombi and its correction by ancrod: in-vivo and in-vitro observations. Thromb Res. 1982 Sep 15;27(6):651–658. doi: 10.1016/0049-3848(82)90003-2. [DOI] [PubMed] [Google Scholar]
- Kniker W. T., Cochrane C. G. The localization of circulating immune complexes in experimental serum sickness. The role of vasoactive amines and hydrodynamic forces. J Exp Med. 1968 Jan 1;127(1):119–136. doi: 10.1084/jem.127.1.119. [DOI] [PMC free article] [PubMed] [Google Scholar]
- Kondo Y., Niwa Y., Takizawa J., Akikusa B., Sano M., Shigematsu H. Accelerated serum sickness in the rabbit. IV. Characteristic endarteritis in the pulmonary artery. Lab Invest. 1979 Aug;41(2):119–127. [PubMed] [Google Scholar]
- PAPPAS G. D., ROSS M. H., THOMAS L. Studies on the generalized Shwartzman reaction. VIII. The appearance, by electron microscopy, of intravascular fibrinoid in the glomerular capillaries during the reaction. J Exp Med. 1958 Mar 1;107(3):333–340. doi: 10.1084/jem.107.3.333. [DOI] [PMC free article] [PubMed] [Google Scholar]
- Riella M. C., George C. R., Hickman R. O., Striker G. E., Slichter S. J., Harker L., Quadracci L. J. Renal microangiopathy of the hemolytic-uremic syndrome in childhood. Nephron. 1976;17(3):188–203. doi: 10.1159/000180723. [DOI] [PubMed] [Google Scholar]
- Sharma H. M., Geer J. C. Experimental aortic lesions of acute serum sickness in rabbits. Am J Pathol. 1977 Aug;88(2):255–266. [PMC free article] [PubMed] [Google Scholar]
- Shigematsu H., Kobayashi Y. Accelerated serum sickness in the rabbit. II. Glomerular ultrastructural lesions in transient proliferative and progressive disorganizing glomerulonephritis. Virchows Arch A Pathol Anat Histol. 1976 Mar 5;369(4):269–282. doi: 10.1007/BF00432449. [DOI] [PubMed] [Google Scholar]
- Shigematsu H., Niwa Y., Takizawa J., Akikusa B. Arthus-type nephritis. I. Characterization of glomerular lesions induced by insoluble and poorly soluble immune complexes. Lab Invest. 1979 Apr;40(4):492–502. [PubMed] [Google Scholar]
- THOMAS L., GOOD R. A. Studies on the generalized Shwartzman reaction: I. General observations concerning the phenomenon. J Exp Med. 1952 Dec;96(6):605–624. doi: 10.1084/jem.96.6.605. [DOI] [PMC free article] [PubMed] [Google Scholar]
- VASSALLI P., SIMON G., ROUILLER C. ELECTRON MICROSCOPIC STUDY OF GLOMERULAR LESIONS RESULTING FROM INTRAVASCULAR FIBRIN FORMATION. Am J Pathol. 1963 Oct;43:579–617. [PMC free article] [PubMed] [Google Scholar]






