Abstract
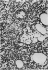
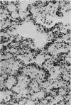
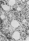
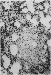
The intrabronchial instillation of stimulants in an oily vehicle induces a solitary inflammatory focus in the rabbit lung. When heat-killed tubercle bacilli were administered to tuberculo-immune animals, a necrotizing focus with cavities was induced. Delipidation of the bacterial cells stimulated the production of a necrotizing focus. In contrast, acetylation of the mycobacterial cell walls resulted in the replacement of cavity formation with epithelioid-cell granuloma production similar to that seen after the administration of Wax D, a peptidoglycolipid fraction of the cell walls. These lesions were induced much faster than in controls, indicating that some immune mechanisms are involved. In the present study of the specific granuloma induction mechanism, the biological activities of the chemical constituents of Wax D were examined. It was concluded that specific granuloma induction is due to the long delayed hypersensitivity antigenicity of Wax D which is brought about by the conjugation of biologically inactive mycolic acid with Arthus-antigenic peptidoglycan. Wax D glycolipids with delayed-type antigenicity also take part in the induction. The intrinsic adjuvant activity of these compounds may stimulate granuloma production. The haemagglutination antigenicity and Arthus-type antigenicity of the polysaccharide or peptidoglycan moiety are not involved.
Full text
PDF










Images in this article
Selected References
These references are in PubMed. This may not be the complete list of references from this article.
- Adam A., Devys M., Souvannavong V., Lefrancier P., Choay J., Lederer E. Correlation of structure and adjuvant activity of N-acetyl muramyl-L-alanyl-D-isoglutamine (MDP), its derivatives and analogues. Anti-adjuvant and competition properties of stereoisomers. Biochem Biophys Res Commun. 1976 Sep 7;72(1):339–346. doi: 10.1016/0006-291x(76)90999-2. [DOI] [PubMed] [Google Scholar]
- Chedid L., Audibert F., Lefrancier P., Choay J., Lederer E. Modulation of the immune response by a synthetic adjuvant and analogs. Proc Natl Acad Sci U S A. 1976 Jul;73(7):2472–2475. doi: 10.1073/pnas.73.7.2472. [DOI] [PMC free article] [PubMed] [Google Scholar]
- DELAUNAY A., ASSELINEAU J., LEDERER E. Réactions histologiques provoquées chez le cobaye par l'injection de lipopolysaccharides extraits de bacilles de Koch. C R Seances Soc Biol Fil. 1951 May;145(9-10):650–652. [PubMed] [Google Scholar]
- Ellouz F., Adam A., Ciorbaru R., Lederer E. Minimal structural requirements for adjuvant activity of bacterial peptidoglycan derivatives. Biochem Biophys Res Commun. 1974 Aug 19;59(4):1317–1325. doi: 10.1016/0006-291x(74)90458-6. [DOI] [PubMed] [Google Scholar]
- Emori K., Tanaka A. Granuloma formation by synthetic bacterial cell wall fragment: muramyl dipeptide. Infect Immun. 1978 Feb;19(2):613–620. doi: 10.1128/iai.19.2.613-620.1978. [DOI] [PMC free article] [PubMed] [Google Scholar]
- Hiu I. J. Water-soluble and lipid-free fraction from BCG with adjuvant and antitumour activity. Nat New Biol. 1972 Aug 23;238(86):241–242. doi: 10.1038/newbio238241a0. [DOI] [PubMed] [Google Scholar]
- Ishibashi T., Fijiwara Y., Tanaka A., Sugiyama K. Antigenicity of wax D. IV. Its relationship to other hemagglutination reactions. Int Arch Allergy Appl Immunol. 1969;36(5):506–514. [PubMed] [Google Scholar]
- JOLLES P., SAMOUR MIGLIORE D., DEWIJS H., LEDERER E. CORRELATION OF ADJUVANT ACTIVITY AND CHEMICAL STRUCTURE OF MYCOBACTERIAL WAX D FRACTIONS: THE IMPORTANCE OF AMINO SUGARS. Biochim Biophys Acta. 1964 Nov 1;83:361–363. doi: 10.1016/0926-6526(64)90018-7. [DOI] [PubMed] [Google Scholar]
- JOLLES P., SMOUR D., LEDERER E. Analytical studies on wax D, a macromolecular peptidoglycoplied fraction from humn strains of Mycobacterium tuberculosos. Arch Biochem Biophys. 1962 Sep;Suppl 1:283–289. [PubMed] [Google Scholar]
- Koga T., Ishibashi T., Sugiyama K., Tanaka A. The significance of the size of the polysaccharide portion for adjuvanticity of a peptidoglycolipid (wax D) of Mycobacteria. Biochim Biophys Acta. 1968 Apr 16;158(1):144–146. doi: 10.1016/0304-4165(68)90081-0. [DOI] [PubMed] [Google Scholar]
- Kotani S., Watanabe Y., Kinoshita F., Shimono T., Morisaki I. Immunoadjuvant activities of synthetic N-acetyl-muramyl-peptides or -amino acids. Biken J. 1975 Jun;18(2):105–111. [PubMed] [Google Scholar]
- Kourilsky R., Ejden J., Menkes M. Etude immunologique des réactions intradermiques spécifiques d'hypersensibilité provoquée par le esters polysaccharidi ques de l'acide mycolique chez lesssujets allergiques à la tuberculine. Ann Inst Pasteur (Paris) 1965 Nov;109(5):718–753. [PubMed] [Google Scholar]
- Kumazawa Y., Shibusawa A., Suzuki T., Mizunoe K. Separation of a water-soluble adjuvant (MAF3) from delipidated cells of Mycobacterium tuberculosis strain Aoyama B by hydrogenolysis and gel filtration. Jpn J Microbiol. 1976 Jun;20(3):183–190. doi: 10.1111/j.1348-0421.1976.tb00973.x. [DOI] [PubMed] [Google Scholar]
- Kumazawa Y., Shibusawa A., Suzuki T., Mizunoe K. Separation of an adjuvant-active glycolipid lacking peptide moiety from wax D preparation of Mycobacterium tuberculosis strain aoyama B. Immunochemistry. 1976 Feb;13(2):173–177. doi: 10.1016/0019-2791(76)90286-x. [DOI] [PubMed] [Google Scholar]
- Tanaka A., Tanaka K., Tsubone T., Kuroda Y., Sugiyama K. Fractionation and characterization of wax D, a peptidoglycolipid of Mycobacterium tuberculosis. II Adjuvanticity of the subfractions of wax D of H37Ra and wax D of other strains M. tuberculosis. Int Arch Allergy Appl Immunol. 1965;28(6):340–352. doi: 10.1159/000229680. [DOI] [PubMed] [Google Scholar]
- WHITE R. G., JOLLES P., SAMOUR D., LEDERER E. CORRELATION OF ADJUVANT ACTIVITY AND CHEMICAL STRUCTURE OF WAX D FRACTIONS OF MYCOBACTERIA. Immunology. 1964 Mar;7:158–171. [PMC free article] [PubMed] [Google Scholar]
- Yasuhira K. [II. Mesenchymal reactions to chemical components of tubercle bacilli]. Kekkaku. 1969 Sep;44(9):273–287. [PubMed] [Google Scholar]








