Abstract
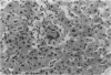
Among 82 patients with brucellosis, physical and/or biochemical abnormalities suggesting liver disease were found in 40 cases. A soft and tender liver enlargement was present in 65% of them, and the spleen was palpable in 52%. The most frequent biochemical abnormalities were a slight increase of serum transaminases and alkaline phosphatase. Liver biopsy showed a non-specific reactive hepatitis in 90% of patients, and minimal changes in the remaining 10%. Non-caseating granulomas were present in 28 patients, always associated with reactive hepatitis. No differences were found when comparing clinical and biochemical features in patients with and without granulomas. However, statistically significant differences were obtained when the duration of the process was related to the type of alteration found in the liver biopsy; the finding of granulomas was practically constant when the duration of the disease before liver biopsy was under 100 days, but was infrequent after this time.
Full text
PDF




Images in this article
Selected References
These references are in PubMed. This may not be the complete list of references from this article.
- BARRETT G. M., RICKARDS A. G. Chronic brucellosis. Q J Med. 1953 Jan;22(85):23–42. [PubMed] [Google Scholar]
- BOTHWELL P. W. BRUCELLOSIS. Practitioner. 1963 Nov;191:577–587. [PubMed] [Google Scholar]
- BRAUDE A. I. The evolution and significance of the hepatic granuloma in experimental brucellosis. J Clin Invest. 1950 Jun;29(6):799–799. [PubMed] [Google Scholar]
- Fabyan M. A Contribution to the Pathogenesis of B. Abortus, Bang.-II. J Med Res. 1912 Jul;26(3):441–488.13. [PMC free article] [PubMed] [Google Scholar]
- JOSKE R. A., FINCKH E. S. Hepatic changes in human brucellosis. Med J Aust. 1955 Feb 19;42(1 8):266–269. doi: 10.5694/j.1326-5377.1955.tb88648.x. [DOI] [PubMed] [Google Scholar]
- SPINK W. W., HOFFBAUER F. W. Histopathology of the liver in human brucellosis. J Lab Clin Med. 1949 Jan;34(1):40–58. [PubMed] [Google Scholar]
- SPINK W. W. HOST-PARASITE RELATIONSHIP IN HUMAN BRUCELLOSIS WITH PROLONGED ILLNESS DUE TO SUPPURATION OF THE LIVER AND SPLEEN. Am J Med Sci. 1964 Feb;247:129–136. doi: 10.1097/00000441-196402000-00001. [DOI] [PubMed] [Google Scholar]
- Santillana López T., Castañeda Alonso E., Fraga Estevez I., Ruíz de Aguiar González A. Brucelosis: consideraciones clínicas y terapéuticas. Revisión de 50 casos. Rev Clin Esp. 1976 Apr 30;141(2):131–137. [PubMed] [Google Scholar]
- Vivancos J., Bruguera M., Cabrer B., Díaz F., Salamero P. Lesiones hepáticas en la brucelosis. Rev Clin Esp. 1973 Oct 31;131(2):119–124. [PubMed] [Google Scholar]
- Young E. J. Brucella melitensis hepatitis: the absence of granulomas. Ann Intern Med. 1979 Sep;91(3):414–415. doi: 10.7326/0003-4819-91-3-414. [DOI] [PubMed] [Google Scholar]



