Abstract
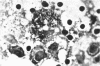
An unidentified spirochete, referred to as the 277F agent, was isolated from Haemaphysalis leporispalustris ticks from two cottontail rabbits by inoculation of the tick suspension into embryonated chicken eggs. Because of its minute width (0.1 μ), the organism was difficult to see when stained by the Giemsa method, but was readily demonstrated by silver impregnation or fluorescent-antibody procedures. In dark-field microscopy, the spirochetes appeared uniformly and rather tightly coiled, and exhibited typical corkscrewlike motility. After yolk-sac inoculation, the agent was highly lethal for chick embryos and was recovered in large quantity from several embryonic tissues and fluids. It could also be maintained in nonfertile eggs and in an enriched liquid medium. This previously undescribed spirochete could pass through Berkefeld N but not Seitz EK filters. It was relatively resistant to heat and to penicillin or sulfadiazine, but was markedly inhibited by streptomycin, broad-spectrum antibiotics, and homologous neutralizing antiserum. Of several species of animals tested for susceptibility to this spirochete, only the snowshoe hare gave evidence of infection.
Full text
PDF








Images in this article
Selected References
These references are in PubMed. This may not be the complete list of references from this article.
- BURGDORFER W., LACKMAN D. Identification of the virus of Colorado tick fever in mouse tissues by means of fluorescent antibodies. J Bacteriol. 1960 Jul;80:131–136. doi: 10.1128/jb.80.1.131-136.1960. [DOI] [PMC free article] [PubMed] [Google Scholar]
- EAGLE H. Amino acid metabolism in mammalian cell cultures. Science. 1959 Aug 21;130(3373):432–437. doi: 10.1126/science.130.3373.432. [DOI] [PubMed] [Google Scholar]
- HABERKORN A. UNTERSUCHUNGEN UEBER DAS VERHALTEN VON RUECKFALLFIEBERSPIROCHAETEN INSBESONDERE DER BORRELIA-CROCIDURAE-GRUPPE IN DER KLEIDERLAUS. 2. Z Tropenmed Parasitol. 1963 Jul;14:209–239. [PubMed] [Google Scholar]
- HILLEMAN M. R., HAIG D. A., HELMOLD R. J. In vivo and in vitro studies of serological specificity among viruses of the psittacosis-lymphogranuloma venereum group. J Immunol. 1952 Feb;68(2):121–129. [PubMed] [Google Scholar]
- MOOSER H. Die Ruckfallfieber. Ergeb Mikrobiol Immunitatsforsch Exp Ther. 1958;31:184–228. [PubMed] [Google Scholar]
- PARKER R. R., PICKENS E. G., LACKMAN D. B., BELLE E. J., THRAIKILL F. B. Isolation and characterization of Rocky Mountain Spotted Fever Rickettsiae from the rabbit tick Haemaphysalis leporis-palustris Packard. Public Health Rep. 1951 Apr 13;66(15):455–463. [PMC free article] [PubMed] [Google Scholar]
- PILLOT J., DUPOUEY P., RYTER A. LA SIGNIFICATION DES FORMES ATYPIQUES ET LA NOTION DE CYCLE 'EVOLUTIF CHEZ LES SPIROCH'ETES. Ann Inst Pasteur (Paris) 1964 Nov;107:663–677. [PubMed] [Google Scholar]






