Abstract
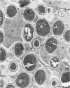
We used light microscopy and scanning and transmission electron microscopy to study the structure of Candida parapsilosis vegetations on five surgically removed porcine bioprosthetic valves. Scanning electron microscopy revealed a "mossy" amorphous surface. In some areas, C. parapsilosis cells could be seen below the surface layer. In areas in which the vegetation had cracked, myriads of healthy C. parapsilosis cells were seen to be loosely adherent to one another. These cells were covered with a flocculent or fibrillar matrix. A compact intercellular matrix was evident by transmission electron microscopy. Hyphal elements were seen invading valvular tissue. The loose matrix that bound large clumps of C. parapsilosis cells explains why large emboli are frequent complications of Candida endocarditis.
Full text
PDF








Images in this article
Selected References
These references are in PubMed. This may not be the complete list of references from this article.
- ANDRIOLE V. T., KRAVETZ H. M., ROBERTS W. C., UTZ J. P. Candida endocarditis. Clinical and pathologic studies. Am J Med. 1962 Feb;32:251–285. doi: 10.1016/0002-9343(62)90294-2. [DOI] [PubMed] [Google Scholar]
- Chaudhuri M. R. Fungal endocarditis after valve replacements. J Thorac Cardiovasc Surg. 1970 Aug;60(2):207–214. [PubMed] [Google Scholar]
- Gibbons R. J., Houte J. V. Bacterial adherence in oral microbial ecology. Annu Rev Microbiol. 1975;29:19–44. doi: 10.1146/annurev.mi.29.100175.000315. [DOI] [PubMed] [Google Scholar]
- King R. D., Lee J. C., Morris A. L. Adherence of Candida albicans and other Candida species to mucosal epithelial cells. Infect Immun. 1980 Feb;27(2):667–674. doi: 10.1128/iai.27.2.667-674.1980. [DOI] [PMC free article] [PubMed] [Google Scholar]
- Klotz S. A., Drutz D. J., Harrison J. L., Huppert M. Adherence and penetration of vascular endothelium by Candida yeasts. Infect Immun. 1983 Oct;42(1):374–384. doi: 10.1128/iai.42.1.374-384.1983. [DOI] [PMC free article] [PubMed] [Google Scholar]
- Maisch P. A., Calderone R. A. Adherence of Candida albicans to a fibrin-platelet matrix formed in vitro. Infect Immun. 1980 Feb;27(2):650–656. doi: 10.1128/iai.27.2.650-656.1980. [DOI] [PMC free article] [PubMed] [Google Scholar]
- Maisch P. A., Calderone R. A. Role of surface mannan in the adherence of Candida albicans to fibrin-platelet clots formed in vitro. Infect Immun. 1981 Apr;32(1):92–97. doi: 10.1128/iai.32.1.92-97.1981. [DOI] [PMC free article] [PubMed] [Google Scholar]
- Malick L. E., Wilson R. B. Modified thiocarbohydrazide procedure for scanning electron microscopy: routine use for normal, pathological, or experimental tissues. Stain Technol. 1975 Jul;50(4):265–269. doi: 10.3109/10520297509117069. [DOI] [PubMed] [Google Scholar]
- Robboy S. J., Kaiser J. Pathogenesis of fungal infection on heart valve prosthesis. Hum Pathol. 1975 Nov;6(6):711–715. doi: 10.1016/s0046-8177(75)80079-7. [DOI] [PubMed] [Google Scholar]
- Seelig M. S., Speth C. P., Kozinn P. J., Taschdjian C. L., Toni E. F., Goldberg P. Patterns of Candida endocarditis following cardiac surgery: Importance of early diagnosis and therapy (an analysis of 91 cases). Prog Cardiovasc Dis. 1974 Sep-Oct;17(2):125–160. doi: 10.1016/0033-0620(74)90027-9. [DOI] [PubMed] [Google Scholar]
- Seelig M. S., Speth C. P., Kozinn P. J., Toni E. F., Taschdjian C. L. Candida endocarditis after cardiac surgery. Clues to earlier detection. J Thorac Cardiovasc Surg. 1973 Apr;65(4):583–601. [PubMed] [Google Scholar]
- Spurr A. R. A low-viscosity epoxy resin embedding medium for electron microscopy. J Ultrastruct Res. 1969 Jan;26(1):31–43. doi: 10.1016/s0022-5320(69)90033-1. [DOI] [PubMed] [Google Scholar]







