Abstract
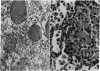
This study was devised to produce an animal model of hypersensitivity pneumonitis in order to study both the induction and the elicitation of the disease. Rabbits exposed by aerosol to large quantities of pigeon antigens developed a humoral, but not cellular, immunologic response. Moreover, their lungs were essentially normal histologically. A single i.v. injection of killed BCG in oil permitted the induction of pulmonary cell-medid hypersensitivity to the inhaled antigen, as well as the development of pulmonary lesions which were more severe than that caused by the administration of BCG alone. The humoral immunologic response to the inhaled antigen was not increased after BCG injection. Since many individuals are exposed to the etiologic agents of hypersensitivity pneumonitis for extended periods without developing the disease, these findings in animals suggest that some event may occur to induce cell mediated hypersensitivity in order to initiate the disease process. In addition, we have shown that animals with normal lung histology and circulating complement-fixing antibodies undergo serum complement (CH50) depression after an aerosol challenge with the specific antigen. Animals with circulating, complement-fixing antibodies, and inflamed lungs (BCG-induced failed to undergo a complement depression subsequent to an aerosol challenge with specific antigens. These results re consistent with those seen in symptomatic and asymptomatic pigeon breeders and suggest that antigen distribution through the lung is important in the pathogenesis of hypersensitivity pneumonitis.
Full text
PDF







Images in this article
Selected References
These references are in PubMed. This may not be the complete list of references from this article.
- BLOCH K. J., KOURILSKY F. M., OVARY Z., BENACERRAF B. Properties of guinea pig 7S antibodies. III. Identification of antibodies involved in complement fixation and hemolysis. J Exp Med. 1963 Jun 1;117:965–981. doi: 10.1084/jem.117.6.965. [DOI] [PMC free article] [PubMed] [Google Scholar]
- Caldwell J. R., Pearce D. E., Spencer C., Leder R., Waldman R. H. Immunologic mechanisms in hypersensitivity pneumonitis. I. Evidence for cell-mediated immunity and complement fixation in pigeon breeders' disease. J Allergy Clin Immunol. 1973 Oct;52(4):225–230. doi: 10.1016/0091-6749(73)90060-2. [DOI] [PubMed] [Google Scholar]
- David J. R. Suppression of delayed hypersensitivity in vitro by inhibition of protein synthesis. J Exp Med. 1965 Dec 1;122(6):1125–1134. doi: 10.1084/jem.122.6.1125. [DOI] [PMC free article] [PubMed] [Google Scholar]
- EMANUEL D. A., WENZEL F. J., BOWERMAN C. I., LAWTON B. R. FARMER'S LUNG: CLINICAL, PATHOLOGIC AND IMMUNOLOGIC STUDY OF TWENTY-FOUR PATIENTS. Am J Med. 1964 Sep;37:392–401. doi: 10.1016/0002-9343(64)90195-0. [DOI] [PubMed] [Google Scholar]
- Fink J. N., Barboriak J. J., Sosman A. J., Bukosky R. J., Arkins J. A. Antibodies against pigeon serum proteins in pigeon breeders. J Lab Clin Med. 1968 Jan;71(1):20–24. [PubMed] [Google Scholar]
- Fink J. N., Sosman A. J., Barboriak J. J., Schlueter D. P., Holmes R. A. Pigeon breeders' disease. A clinical study of a hypersensitivity pneumonitis. Ann Intern Med. 1968 Jun;68(6):1205–1219. doi: 10.7326/0003-4819-68-6-1205. [DOI] [PubMed] [Google Scholar]
- Fink J. N., Sosman A. J., Salvaggio J. E., Barboriak J. J. Precipitins and the diagnosis of a hypersensitivity pneumonitis. J Allergy Clin Immunol. 1971 Sep;48(3):179–181. doi: 10.1016/0091-6749(71)90014-5. [DOI] [PubMed] [Google Scholar]
- Fink J. N., Tebo T., Barboriak J. J. Characterization of human precipitating antibody to inhaled antigens. J Immunol. 1969 Aug;103(2):244–251. [PubMed] [Google Scholar]
- Ghose T., Landrigan P., Killeen R., Dill J. Immunopathological studies in patients with farmer's lung. Clin Allergy. 1974 Jun;4(2):119–129. doi: 10.1111/j.1365-2222.1974.tb01369.x. [DOI] [PubMed] [Google Scholar]
- Hansen P. J., Penny R. Pigeon-breeder's disease: study of the cell-mediated immune response to pigeon antigens by the lymphocyte culture technique. Int Arch Allergy Appl Immunol. 1974;47(4):498–507. [PubMed] [Google Scholar]
- Hensley G. T., Garancis J. C., Cherayil G. D., Fink J. N. Lung biopsies of pigeon breeders' disease. Arch Pathol. 1969 Jun;87(6):572–579. [PubMed] [Google Scholar]
- MYRVIK Q. N., LEAKE E. S., OSHIMA S. A study of macrophages and epitheloid-like cells from granulomatous (BCG-induced) lungs of rabbits. J Immunol. 1962 Nov;89:745–751. [PubMed] [Google Scholar]
- MYRVIK Q., LEAKE E. S., FARISS B. Studies on pulmonary alveolar macrophages from the normal rabbit: a technique to procure them in a high state of purity. J Immunol. 1961 Feb;86:128–132. [PubMed] [Google Scholar]
- Miller T. E., Mackaness G. B., Lagrange P. H. Immunopotentiation with BCG. II. Modulation of the response to sheep red blood cells. J Natl Cancer Inst. 1973 Nov;51(5):1669–1676. doi: 10.1093/jnci/51.5.1669. [DOI] [PubMed] [Google Scholar]
- Moore V. L., Fink J. N., Barboriak J. J., Ruff L. L., Schlueter D. P. Immunologic events in pigeon breeders' disease. J Allergy Clin Immunol. 1974 Jun;53(6):319–328. doi: 10.1016/0091-6749(74)90115-8. [DOI] [PubMed] [Google Scholar]
- Moore V. L., Fink J. N. Immunologic studies in hypersensitivity pneumonitis--quantitative precipitins and complement-fixing antibodies in symptomatic and asymptomatic pigeon breeders. J Lab Clin Med. 1975 Apr;85(4):540–545. [PubMed] [Google Scholar]
- Moore V. L., Myrvik Q. N. Relationship of BCG-induced pulmonary delayed hypersensitivity to accelerated granuloma formation in rabbit lungs: effect of cortisone acetate. Infect Immun. 1973 May;7(5):764–770. doi: 10.1128/iai.7.5.764-770.1973. [DOI] [PMC free article] [PubMed] [Google Scholar]
- Moore V. L., Tobolski S. L. A modified macro-method for the quantitation of the hemolytic activity of rabbit complement. J Immunol Methods. 1974 May;5(1):71–76. doi: 10.1016/0022-1759(74)90047-7. [DOI] [PubMed] [Google Scholar]
- Nielsen K. H., Parratt D., Boyd G., White R. G. Use of radiolabelled antiglobulin for quantitation of antibody to soluble antigens rendered particulate: application to human sera from 'pigeon fancier's lung syndrome'. Int Arch Allergy Appl Immunol. 1974;47(3):339–350. doi: 10.1159/000231227. [DOI] [PubMed] [Google Scholar]
- Seal R. M., Hapke E. J., Thomas G. O., Meek J. C., Hayes M. The pathology of the acute and chronic stages of farmer's lung. Thorax. 1968 Sep;23(5):469–489. doi: 10.1136/thx.23.5.469. [DOI] [PMC free article] [PubMed] [Google Scholar]
- Uhr J. W. Delayed hypersensitivity. Physiol Rev. 1966 Jul;46(3):359–419. doi: 10.1152/physrev.1966.46.3.359. [DOI] [PubMed] [Google Scholar]




