Abstract
Endothelial cells (ECs) represent the major component of the embryonic pancreatic niche and play a key role in the differentiation of insulin-producing β cells in vivo. However, it is unknown if ECs promote such differentiation in vitro. We investigated whether interaction of ECs with mouse embryoid bodies (EBs) in culture promotes differentiation of pancreatic progenitors and insulin-producing cells and the mechanisms involved. We developed a co-culture system of mouse EBs and human microvascular ECs (HMECs). An increase in the expression of the pancreatic markers PDX-1, Ngn3, Nkx6.1, proinsulin, GLUT-2, and Ptf1a was observed at the interface between EBs and ECs (EB-EC). No expression of these markers was found at the periphery of EBs cultured without ECs or those co-cultured with mouse embryonic fibroblasts (MEFs). At EB-EC interface, proinsulin and Nkx6.1 positive cells co-expressed phospho-Smad1/5/8 (pSmad1/5/8). Therefore, EBs were treated with HMEC conditioned media (HMEC-CM) suspecting soluble factors involved in bone morphogenetic protein (BMP) pathway activation. Upregulation of PDX-1, Ngn3, Nkx6.1, insulin-1, insulin-2, amylin, SUR1, GKS, and amylase as well as down-regulation of SST were detected in treated EBs. In addition, higher expression of BMP-2/-4 and their receptor (BMPR1A) were also found in these EBs. Recombinant human BMP-2 (rhBMP-2) mimicked the effects of the HMEC-CM on EBs. Noggin (NOG), a BMP antagonist, partially inhibited these effects. These results indicate that the differentiation of EBs to pancreatic progenitors and insulin-producing cells can be enhanced by ECs in vitro and that BMP pathway activation is central to this process.
Electronic supplementary material
The online version of this article (doi:10.1007/s12015-011-9232-z) contains supplementary material, which is available to authorized users.
Keywords: Embryonic stem cells, Endothelial cells, Cell-cell interactions, Pancreatic differentiation, Pancreatic progenitors
Introduction
Type 1 diabetes mellitus (T1DM) affects approximately one million Americans and results in devastating morbidity and accelerated mortality from neurovascular complications [1]. Transplantation of a functioning β cell mass in the form of a vascularized whole organ allograft or isolated islets can provide normoglycemia without the need for exogenous insulin injections or the threat of hypoglycemia [2]. However, the whole organ transplantation approach is limited by the risks of surgery. Islet transplantation, though safe, often requires collection of islets from several donors and the graft is threatened by allorejection and recurrence of autoimmunity. Both approaches, even if uniformly successful, would be limited by the organ donor shortage. One promising source of islets is embryonic stem cells (ESCs), which can be expanded and repeatedly grafted to attain the target quantity of insulin secretion. Under the appropriate influences, ESCs are able to differentiate into insulin-producing cells [3–11]. In vivo and in vitro studies have demonstrated that endothelial cells (ECs) are required for β-cell differentiation [12]. In addition, we recently described that quail chorioallantoic membranes (CAMs) composed of abundant blood vessels promote the differentiation of mouse embryoid bodies (EBs) to different cell lineages [13]. ECs provide basement membrane components such as laminins and integrins (e.g., beta-1-integrin) that are crucial for insulin gene expression in pancreatic progenitors and vascularization within the islets of Langerhans [14–17]. Because over-expression of vascular endothelial growth factor-A (VEGF-A), an angiogenic factor, improves the rate of success of islet transplants and hence reversal of hyperglycemia, an important role of ECs in islet cell maintenance has been suggested [18]. It is known that ECs also elaborate and secrete factors involved in organogenesis such as bone morphogenetic proteins (BMPs) [19, 20]. BMP signaling controls several developmental processes involved in pancreatic cell proliferation and differentiation [21, 22]. Although the participation of ECs in β-cell differentiation and function has been well studied in vivo [12, 14–17], the influence of these cells in the specific differentiation of ESCs into insulin-producing β cells as well as the factors involved have not been fully explored in vitro. We hypothesize that the in vitro interaction between ESC-derived EBs and ECs cells (EB-EC) may augment the differentiation of pancreatic endocrine progenitors and insulin-producing cells, and these effects are mediated by endothelial-derived factors such as BMPs. Our results indicate that ECs co-cultured with EBs promote EB cell differentiation to pancreatic endocrine progenitors and insulin-producing β-like cells. Furthermore, BMP pathway activation plays an important role in the differentiation process observed at the cell-cell interface in our co-culture system.
Materials and Methods
Cells and Reagents
Mouse ESC line R1 (from (strains 129/Sv x 129/Sv-CP) F1 3.5-day blastocyst) (Samuel Lunenfeld Research Institute, ON, Canada) passage 20-25 were plated on mitomycin C (Sigma, St. Louis, MO) -inactivated mouse embryonic fibroblasts (MEFs) (ATCC, Manassas, VA). Culture medium for maintenance of these cells in their undifferentiated state consisted of Dulbecco Modified Eagle Medium with high glucose (DMEM-H) (ATCC, Manassas, VA), supplemented with 15% heat-inactivated fetal bovine serum (FBS) (Omega Scientific Inc., Tarzana), 1 mM Sodium Pyruvate, 0.1 mM non-essential amino-acids (NEAA), 200 μM L-glutamine (Invitrogen, Grand Island, NY), 1000 U/mL leukemia inhibitor factor (LIF) (Chemicon, Temecula, CA) and 100 μM β-mercaptoethanol (Sigma, St. Louis, MO). MEFs were grown at 37oC under 10% CO2 in DMEM-H supplemented with 15% FBS. To induce formation of EBs, the ESCs were cultured in hanging drops after disaggregating with accutase (Innovative Cell Technologies, San Diego, CA). Six hundred cells were plated in each drop of 20 μL hanging on the lid of a Petri dish for two days. The medium used was the same as described above, but without LIF and supplemented with 20% heat-inactivated FBS. After two days in hanging drops, more medium was added to EBs that grew in suspension for three more days. The HMEC cell line was donated by E. W. Ades and F. J. Candal from the CDC (Atlanta, GA) and T. J. Lawley (Emory University, Atlanta, GA). These cells retain specific markers for microvascular endothelial cells [23, 24]. Confluent monolayers were grown at 37oC under 5% CO2 in MCDB131 medium (Invitrogen, Carlsbad, CA) supplemented with 200 μM L-glutamine (Invitrogen, Carlsbad, CA), 10% FBS (Omega Scientific, Tarzana, CA), and 100 μg/mL Endothelial Cell Growth Supplement (ECGS) (Upstate, Temecula, CA). Cells were used at passages 20 to 25. Primary cultures of mouse aortic endothelial cells (mAECs) were kindly donated by Dr. M. Arditi (Division of Pediatric Infectious Diseases and Cardiology, Atherosclerosis Research Center, Cedars Sinai Medical Center, Los Angeles, CA). The method used for isolation of these cells, that express specific endothelial-cell markers, has been previously described [25]. Confluent monolayers of mAECs grew in identical conditions as described for HMECs (see above). The cells were used at passages 7 to 10. Confluent monolayer of EOMA cells (hemangioendothelioma) (ATCC, Manassas, VA) grew in DMEM-H supplemented with 10% FBS. For co-culturing experiments, 25-30 EBs were taken with a Pasteur pipette and placed into a 12-well plate with glass coverslips pre-coated with 0.1% gelatin type A (Sigma, St. Louis, MO). After 24 hrs, ECs were plated at subconfluency (75X103 cells/mL) together with growing EBs. Then, the medium was changed to medium with knockout serum replacer (KOSR) to avoid further differentiation induced by FBS. The co-culture continued for 15 days. At this time, the EBs were 20 days of age (EBd20). In other experiments, ECs were plated on 12 mm Millicell filter inserts (Millipore, Billerica, MA) with EBs on the bottom of the wells of a 24-well plate to avoid cell-cell contact. After 15 days in co-culture, the EBs were analyzed. In another group of experiments, EBs were cultured without ECs for 15 days in HMEC conditioned medium (HMEC-CM) or recombinant human BMP2 (rhBMP-2). EBs cultured alone or co-cultured with MEFs were used as controls. To evaluate cell viability, ECs, EB cultured alone, EB co-cultured with ECs, and EBs treated with HMEC-CM were disassociated after 15 days. A sample of the cell suspension was incubated with trypan blue and the cells were counted using a dual-chamber hemocytometer. To evaluate apoptosis, we used anti-PARP antibody (Millipore, Billerica, MA) in all EB groups and ECs after 15 days in culture. A mouse insulinoma cell line beta-TC-6 (ATCC, Manassas, VA) was also used as a control. Suitable immunodetection of islet markers was performed in these cells (Supplementary Fig. 1). Subconfluent monolayers were grown at 37oC under 5% CO2 in DMEM-H supplemented with 10% FBS.
EBs Treated with HMEC-CM, HMEC-CM + Noggin (NOG), or BMPs
HMECs became confluent at day 6 after plating. At this time, the media was replaced by media supplemented with KOSR, collected and filtered (0.22 μm) after 24 hrs to be used as HMEC-CM. Then, it was added directly to growing EBs. The media was replaced every two days. rhBMP-2 and rhBMP-4 were used at 100 ng/mL and 30 ng/mL respectively (R&D Systems, Inc., Minneapolis, MN). NOG was used to antagonize BMP bioactivities as previously reported [26]. It was used at 100 ng/mL (R&D Systems, Inc., Minneapolis, MN) and added to EC-CM. EBs treated with HMEC-CM, HMEC-CM + NOG, or BMP-2/-4 were analyzed after 15 days.
Immunocytochemistry
EBs plated on coverslips and co-cultured with ECs for 15 days, were fixed with paraformaldehyde 4% (Polysciences, Inc., Warrington, PA) and permeabilized with 0.3% triton X-100. After rinsing with PBS, cells were blocked with PBS/5% BSA for 1 h and exposed overnight using antibodies to proinsulin, glucose transporter-2 (GLUT2), pancreatic and duodenal homeobox factor-1 (PDX-1), PARP (AB3565), (Millipore, Billerica, MA), neurogenin 3 (Ngn3) (Lifespan Biosciences, Seattle, WA), NK homeobox 6.1 (Nkx6.1) (DSHB, University of Iowa, IA), islet-1 (Isl-1), pancreas transcription factor 1 alpha (PTF1a) (abcam, San Francisco, CA), platelet/endothelial cell adhesion molecule (CD31) (BD Biosciences Pharmingen, San Diego, CA), phospho-Smad1/5/8 (pSmad1/5/8) (Cell Signaling, Danvers, MA), mouse IgG1, rabbit IgG, and rat IgG2a (isotype controls; Santa Cruz, Biotechnology, Inc., Santa Cruz, CA). The secondary antibodies used were Alexa Fluor 555 goat anti-rabbit IgG, Alexa Fluor 555 goat anti-mouse IgG, Alexa Fluor 488 goat anti-mouse IgG, Alexa Fluor 594 goat anti-rat IgG, Alexa Fluor 488 goat anti-rat IgG (Molecular Probes, Eugene, OR). Images were acquired with a multi-purpose zoom microscope (Nikon AZ 100, USA; http://www.nikon.com/) attached to a DS-Qi1 High-sensitivity CCD Camera (http://www.nikon.com/) and analyzed using an imaging software NIS-Elements AR 3.10 (Nikon Instruments, Melville, N.Y.) and the image tools of ImageJ 1.30v software (Wayne Rasband National Institutes of Health; USA).
Quantitative Real Time RT-PCR (qRT-PCR) Analysis
Total RNA was isolated from 100 EBs growing under the different conditions described using RNA easy mini kit (Qiagen, Valencia, CA). After cDNA synthesis, using a QuantiTect Reverse Transcription kit (Qiagen, Valencia, CA), quantitative real-time RT-PCR (qRT-PCR) analysis was performed using a SYBR Green RT-PCR kit (Qiagen, Valencia, CA) and the LightCycler instrument (AB Applied Biosystems, Foster City, CA; http://www3.appliedbiosystems.com/AB_Home/index.htm). PCR cycle conditions included a first step for initial polymerase activation for 10 min at 95°C and 45 cycles of denaturation at 94°C for 30 s, annealing at 60°C for 20 s, and elongation at 72°C for 30 s.
The forward and reverse primers used (all sequences are 5’-3’) for mouse genes were as follows: Amylase, ATACTCTGCTTGGGACTTTAACGA, and CAGAAGGCCAGTCAGACGA; Amylin, GCCACGTGTGCCACACA, and GTTGTTGCTGGAACGAACCA; BMP-2, CTGCCTGCACCCTGTTCTCT, and GTTCAAACACATATCCCTGGAAAGA; BMP-4, GGTCCAGGAAGAAGAATAA, and GGTACAACATGGAAATGG; BMPR1A, GAAGTTGCTGTATTGCTGA, and GTAATACAACGACGAGCC; GAPDH, ATTGACCACTACCTGGGCAA, and GAGATACACTTCAACACTTGACCT; GCG, GCACATTCACCAGCGACTACAG, and GGGAAAGGTCCCTTCAGCATGTCT; GKS, GAGTGCTCAGGATGTTAAGGATCTG, and GCTTTTGAGACCCGTTTTGTG; GLUT2, GGATAAATTCGCCTGGATGA, and TTCCTTTGGTTTCTGGAACT; Insulin-1, AACAGCATCTTTGTGGTCCC, and CACTTGTGGGTCCTCCACTT; Insulin-2, GGCTCTCTACCTGGTGTGT, and TGCAGCACTGATCTACAATG; Isl-1, CACAGCACCAGCATCCTCTCT, and GAGGGAGTAATGTCCACAGTGAAA; Kir6.2, GGACCTCCGAAAGAGCATGA, and GCGCACCACCTGCATGT; MafA, CTTCAGCAAGGAGGAGGTCATC, and CGTAGCCGCGGTTCTTGA; NeuroD1, CGCATCATGAGCGAGTCATG, and GACGTGCCTCTAATCGTGAAAGA; Ngn3, ACAGGCCCAAGAGCGAGTT, and TTCTTGCGCCGGCTTCT; Nkx2.2, CAAATTTCGCTCCTTCGTTGTAA, and ATACAGGCCCATCCAGAACGT; Nkx6.1, TCAGGTTCAAGGTCTGGTTCCA, and CGGTCTCCGAGTCCTGCTT; Pax4, GCCGAGGCACTGGAGAAA, and CGGGCCACTGAATCTGGAT; Pax6, ACCTGTCTCCTCCTTCACATCAG, and TTGGTGAGGGCGGTGTCT; PDX-1, ATGAAATCCACCAAAGCTC, and GATGTGTCTCTCGGTCAAGT; SST, CGAGCCCAACCAGACAGAGA, and CATTGCTGGGTTCGAGTTGG; SUR1, CCTCCAGAAGGTGGTGATGAC, and TCTGCACTCAGGATGGTGTGTAC. The forward and reverse primers used (all sequences are 5’-3’) for human genes were as follows: BMP-2, AAAGGGCATCCTCTCCACAA, and AGGCGTTTCCGCTGTTTG; BMP-4, CCAAGCGTAGCCCTAAGCAT, and GGCGCCGGCAGTTCTT; GAPDH, AGCCACATCGCTCAGACACC, and GTACTCAGCGGCCAGCATCG. Total RNA from beta-TC-6 cells (American Type Culture Collection, Manassas, VA), mouse pancreas (Clontech, Mountain View, CA), MEFs, and ECs was used as positive and negative controls respectively. Additionally, RNA not treated with Reverse Transcriptase (No RT) was used as internal control. All samples were run in triplicate and PCR products were observed by gel electrophoresis on 2% agarose ethidium bromide-stained gels. Analysis was performed using 7300 Sequence Detection Software (SDS) Version 1.3 (Software Core Application, AB Applied Biosystems, Foster City, CA; http://www3.appliedbiosystems.com/AB_Home/index.htm). Following qRT-PCR, a dissociation curve was run to detect primer dimmers, contaminating DNA, and PCR products from misannealed primers. For quantification, we used a standard curve obtained by running a glyceraldehyde 3-phosphate dehydrogenase (GAPDH)-plasmid with a known copy-number value based on its molecular weight. Automatic baseline and threshold feature (Ct) of the SDS software (auto Ct) was performed and the system considered Ct values established in the geometric phase of the amplification curve for each marker with minimal standard deviation. The standard curve was then used as a reference for extrapolating quantitative information for mRNA targets of unknown concentrations. Then, the number of copies of each specific marker was divided by the number of copies of GAPDH for normalization (mouse housekeeping gene).
Cytokine Determination
BMP-2 was measured by MicroELISA (Quantikine Immunoassay, R&D Systems, Minneapolis, MN) in HMEC-CM and mAEC-CM from confluent monolayers grown in T-75 flasks. The minimum detectable dose (MDD) by this assay ranged from 4.3-9 pg/mL (mean was 11 pg/mL).
Statistics
Data are expressed as mean ± standard error of absolute quantification of gene expression values in relation to housekeeping genes from three independent experiments. To find significant differences in the tested EB groups, the values were assessed by Student’s t-test using GraphPad Prism Software Version 5.01 (GraphPad Software, Inc. La Jolla, CA).
Results
EB-EC Interface
Embryoid bodies developed in hanging drops for two days and then in suspension for three more days (Fig. 1a). After transferring, they attached to the culture dish surface and some cells spread out at the periphery (Fig. 1b). Cells spreading from EBs established close interactions with the feeder layer when plated together with HMECs (black arrows in Fig. 1c). After 15 days, a tight EB-EC interface is formed and changes in morphology were observed in EB peripheral cells (black arrowheads in Fig. 1d). At this time, the percentage of viable cells was higher than 90%. In addition, cleaved poly ADP-ribose polymerase (PARP), an apoptosis marker, was found in the center of some EBs but not at EB-EC interface or in EC cultures at the analyzed time points (not shown).
Fig. 1.
Formation of EBs and a co-culture system. mESCs were disassociated and culture in hanging drops for 2 days. After this period, EBs grew in suspension for additional 3 days (a). At day 5, EBs were plated on coverslips or plastic either alone (b) or in contact with HMECs (black arrows in c). At day 15, an EB-EC interface with close cell-cell interaction was established (black arrowheads in d). (a), (b), (c), and (d) Bar = 100 μm
Expression of Progenitor and β-Cell Markers at EB-EC Interface
Culture of EBs for 15 days with HMECs resulted in expression of progenitor and β-cell markers, with high levels of PDX-1 expression in cells located at the EB-EC interface (Fig. 2a and b). In all of the microphotographs, ECs appear to the left and EB cells to the right in co-cultured EBs as indicated. The yellow arrows indicate the EB-EC interface. In addition to specificity of the ani-PDX-1 antibody, PDX-1 induction was specifically attributed to the inductive effects of ECs, as its expression was remarkably lower in EBs cultured without HMEC support and its distribution was mainly in EB center (Supplementary Fig. 2c) but not at EB-EC interface (Fig. 2c). Also, PDX-1 expression was not observed at the EB-MEF interface (Fig. 2s). Aside from expression of PDX-1, significant expression of other markers related with β-cell differentiation and function such as Ngn3 (Figs. 2d and e), Nkx6.1 (Fig. 2g and h), proinsulin (Figs. 2j and k), and GLUT2 (Fig. 2m and n) was detected at the EB-EC interface. In contrast, no expression of Ngn3 (Fig. 2f), Nkx6.1 (Fig. 2i), proinsulin (Fig. 2l), and GLUT-2 (Fig. 2o) was found at the periphery of EBs cultured without HMECs. In addition, more expression of the exocrine progenitor marker Ptf1a was observed at EB-EC interface (Figs. 2p and q) compared to EBs cultured alone (Fig. 2r). Proinsulin was selected to avoid possible uptake of insulin from the medium and/or feeder cells. Non-selective staining for these markers was observed at the EB-EC interface staining with isotype control antibodies (Figs. 2t and u). These data demonstrate superior expression of proinsulin and GLUT2, abundant in mouse β cells, as well as higher expression of characteristic transcription factors, found in pancreatic endocrine and exocrine progenitors, at the EB-EC interface.
Fig. 2.
Progenitor and β-cell marker expression at the interface EB-EC. The EB cells located in the vicinity of HMECs (yellow arrows) expressed PDX-1 (red) (a and b), Ngn3 (red) (d and e), Nkx6.1 (red) (g and h), proinsulin (green) (j and k), GLUT2 (red) (m and n), and Ptf1a (green) (p and q). EBs cultured alone were also stained to PDX-1 (c), Ngn3 (f), Nkx6.1 (i), proinsulin (l), GLUT-2 (o), and Ptf1a (r). To demonstrate specificity of the inductive effects of ECs, the co-culture between EBs and MEFs was also stained with specific antibodies to these markers. Staining with anti-PDX-1 antibody is shown as example (s). Staining using isotype control antibodies are also shown (t and u). (a), (j), and (r) Bar = 250 μm. (b), (c), (f), (i), (l), (m), (o), (p), (s), (t), and (u) Bar = 100 μm. (d), and (g) Bar = 150 μm. (e), (h), (k), and (n) Bar = 50 μm. (q) Bar = 25 μm
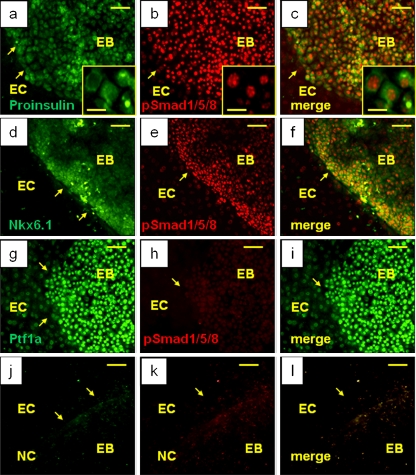
BMP Pathway Activation at the EB-EC Interface
More complex vascular networks were found in the center of EBs co-cultured with HMECs (Supplementary Fig. 2g) in comparison to EBs cultured alone (Supplementary Fig. 2i), with mAECs or EOMA cells (not shown). Considering prior reports on the effects of BMP-2/-4 in organogenesis and blood vessel maturation [27, 28], we suspected that these cytokines were involved in the promotion of progenitor and insulin-producing cell differentiation in co-cultured EBs. Since rhBMP-2 mimicked the effects on vascular networks induced by HMEC-CM (Supplementary Fig. 2k) and less robust vasculature was observed on EBs treated with rhBMP-4 (not shown), we focus our analysis in BMP-2 effects. In addition, previous studies have pointed out the role of BMP-2 in exendin-4-induced insulin-producing cell differentiation of AR42J cells [28]. For a functional involvement of the BMP receptor (BMPR1A), we assessed Smad1/5/8 phosphorylation and nuclear translocation [29]. EB cells at the EB-EC interface were found to co-express nuclear pSmad1/5/8 and cytoplasmic proinsulin (Figs. 3a, b and c). Higher-magnification images of these cells are shown in the insets of Fig. 3a, b, and c. The yellow arrows indicate the EB-EC interface. Co-expression of pSmad1/5/8 and Nkx6.1 was also found exclusively at the EB-EC interface (Figs. 3d, e and f). However, no co-expression was observed in Ptf1a positive clusters close to the EB-EC limit (Figs. 3g, h, and i). No staining was detected in those EB treated with isotype control antibodies at the EB-EC interface (Figs. 3j, k, and l). No proinsulin+/pSmad1/5/8+ cells were found in either EBs cultured without ECs or at the EB-MEF interface (not shown). These data point to specific activation of the BMP signaling pathway by HMEC interaction as an inductive factor in differentiation of EBs towards endocrine progenitor cells and insulin-producing cells.
Fig. 3.
pSmad1/5/8 and proinsulin or Nkx6.1 co-expression at the EB-EC interface. At EB-EC interface (yellow arrows), proinsulin positive cells (green) (a) co-expressed pSmad1/5/8 (red) (b). The insets show these cells at higher magnification. In these images, proinsulin is localized in the cytoplasm whereas pSmad1/5/8 is distributed in the nucleus. Nkx6.1 (green) (d) is also co-expressed with pSmad1/5/8 (e). No co-expression was found in Ptf1a positive cells (green) (g) staining to pSmad1/5/8 (h). No staining was observed using isotype control antibodies to proinsulin (j) and pSmad1/5/8 (k). Merged images (c, f, i, l). (a), (b), (c), (g), (h), and (i) Bar = 50 μm. (a), (b), and (c) Insets bar = 10 μm. (d), (e), (f), (j), (k), and (l) Bar = 100 μm
HMEC-CM Promotes EB Cell Expression of Pancreatic Progenitor and β-Cell Markers
The inductive effects of human ECs over murine EBs and the BMP pathway activation led to the assumption of involvement of soluble factors. Therefore, HMEC-CM was applied to EBs to induce expression of pancreatic progenitor, β-cell, islet, and exocrine markers at 15-day intervals, considering that the most significant effects of HMECs on EBs in co-culture were observed at this time. Expression of PDX-1, Ngn3, and Nkx6.1 in EBs were markedly elevated by incubation with HMEC-CM (Fig. 4a). No significant increase was detected for neurogenic differentiation 1 (NeuroD1), paired box gene 4 (Pax4), paired box gene 6 (Pax6) and mammalian homologue of avian musculoaponeurotic fibrosarcoma oncogene A (MafA) (Fig. 4a). Upregulation of PDX-1 was accompanied by increase in mRNA encoding insulin-1, insulin-2, and amylin, (Fig. 4b) as well as downregulation of somatostatin (SST) (Fig. 4c). The glucose sensing and insulin secretion mechanisms are of outmost importance towards a possible physiological function of the differentiated ESCs, in addition to hormone production [30]. Glucose sensing mechanisms were assessed by expression of GLUT2, glucokinase (GKS), the inward-rectifier potassium ion channel 6.2 (Kir6.2), and sulfonylurea receptor (SUR1). Significant upregulation of mRNA encoding SUR1 and GKS was mediated by HMEC-CM (Fig. 4b). However, the media failed to promote upregulation of GLUT2 and Kir6.2 as no significant increase was found (Fig.4b). As expected, with evident increase in expression of exocrine progenitor markers (see Fig. 2k and l), amylase was also upregulated after treatment of EBs with HMEC-CM (Fig. 4c). No upregulation was observed for glucagon (GCG) (Fig. 4c). These data indicate that endothelial-derived soluble factors are involved in upregulation of some of the pancreatic endocrine and exocrine markers since no cell-cell contact was necessary to induce such effects.
Fig. 4.
Expression of progenitor, β and islet cell markers as well as BMPs in ECs and EBs treated with HMEC-CM. Progenitor markers (a), β cell markers (b), and islet markers (c) as well as amylase (exocrine marker) were analyzed by qRT-PCR in EBs after 15-day treatment with HMEC-CM. * P < 0.05. **P < 0.001. Expression of BMPs in HMECs (d), mAECs (lane 1 in panel e), EBs cultured alone (lane 2 in panel e), EBs co-cultured in contact with mAECs (lane 3 in panel e), EBs co-cultured in contact with HMECs (lane 4 in panel e), EBs co-cultured without cell-to-cell contact with mAECs (plated on cell inserts) (lane 5 in panel e), and EBs co-cultured without cell-to-cell contact with HMECs (lane 6 in panel e). Expression of some progenitor, β- and islet-cell markers observed in EBs cultured alone not treated with HMEC-CM (lane 1 in panel f), treated with HMEC-CM (lane 2 in panel f), treated with HMEC-CM+NOG (lane 3 in panel f), and treated with rhBMP-2 (lane 4 in panel f)
HMEC-CM Effects Mimicked by BMP-2 and Inhibited by NOG
A concentration of 210 ± 0.035 pg/ml BMP-2 was detected in HMEC-CM of a confluent monolayer using an ELISA kit (see methods). To corroborate the transcriptional level of this peptide, PCR products were analyzed after performing qRT-PCR in these cells. Evident expression of BMP-2 and BMP-4 was observed in HMECs (Fig. 4d). In addition, analysis of BMP-2, BMP-4 and BMP receptor 1A (BMPR1A) expression was carried out in mouse EB cultured alone and co-cultured with either HMECs or mAECs with or without contact (with ECs plated on filter inserts). mAECs were tested because they exerted about 50% of the effects of HMEC in the promotion of insulin-1 expression evaluated by qRT-PCR (not shown). Interestingly, mAECs exhibited high level expression of BMP-4 and BMPR1A but no expression of BMP-2 (Fig. 4e; lane 1). EBs cultured without HMECs expressed low levels of BMP-2, BMP-4 and BMPR1A (Fig. 4e; lane 2). However, upregulation of BMP-2 is observed when EBs were in contact with either mAECs or HMECs (Fig.4e; lane 3 and 4). Notably, higher expression of BMP-2, BMP-4, and BMPR1A was observed in those EBs in contact with HMECs (Fig. 4e; lane 4). mAECs co-cultured with EBs without cell-cell contact had no effects on BMP-2 and BMP-4 expression. Surprisingly, mAEC-CM inhibited the expression of BMPR1A (Fig. 4e; lane 5). In contrast, HMECs exerted upregulation of BMP-2, BMP-4, and BMPR1A without cell-cell contact (Fig. 4e; lane 6). These data suggest that mAECs (macrovascular endothelial cells) require contact for some inductive effects whereas HMECs (microvascular endothelial cells) exert most of their inductive effects by releasing soluble factors that may act in a paracrine fashion on EB cells in our co-culture system.
To confirm if the effects of HMEC-CM were exerted mainly by BMP-2, we tested its effects with or without NOG as well as the direct effects of rhBMP-2 on EBs. NOG is a peptide that antagonizes BMP bioactivity by blocking BMP epitopes involved in binding both type I and type II receptors [26, 31]. The pattern of marker expression (PCR products in agarose gel) from one experiment is shown as an example in Fig. 4f. Quantification of these expression from three independent experiments is summarized in Table 1. Parallel effects of HMEC conditioned medium and rhBMP-2 on transcriptional expression of PDX-1, Nkx6.1, insulin-1, insulin-2, amylin, and SST were observed (Fig. 4f, lanes 2 and 4) (Table 1). However, no similar effects were found for Ngn3. NOG was able to inhibit culture medium effects in the expression of PDX-1, Ngn3, insulin-1, amylin and SST (Fig. 4f, lane 3) but not in expression of Nkx6.1 and insulin-2 (Fig. 4f, lane 3) (Table 1). These data suggest the involvement of regulatory endothelial-derived factors such as BMP-2 in the transcription of some genes that are important for β-cell function and development. It also suggests the possibility of alternate BMP-independent ways for activation of those genes not affected by the inhibitory effects of NOG.
Table 1.
Expression of mouse pancreatic markers in EBs cultured alone or treated with endothelial cell conditioned medium (EC-CM), endothelial cell conditioned medium plus noggin (EC-CM + NOG), and bone morphogenetic protein-2 (BMP-2).
| Pancreatic Marker | EBs | |||
|---|---|---|---|---|
| Control | +EC-CM | +EC-CM+NOG | +BMP-2 | |
| mSST | 2.960 ± 0.860 | 1.015 ± 0.135* | 3.865 ± 1.365** | 1.045 ± 0.155◊ |
| mAmylin | 6 × 10-4 ± 0.128 | 0.494 ± 0.147* | 2 × 10-4 ± 8 × 10-5‡ | 0.375 ± 0.023◊◊ |
| mInsulin-1 | 0.034 ± 0.127 | 1.152 ± 0.701† | 3 × 10-4 ± 1.7 × 10-5** | 0.961 ± 0.183◊◊ |
| mInsulin-2 | 0.032 ± 0.154 | 1.061 ± 0.621* | 0.819 ± 0.123 | 0.366 ± 0.292 |
| mNgn3 | 0.010 ± 0.006 | 0.049 ± 0.017* | 4 × 10-4 ± 5 × 10-5‡ | 6 × 10-4 ± 4 × 10-4◊ |
| mNkx6.1 | 4.240 ± 1.260 | 11.644 ± 1.856† | 9.500 ± 3.0 | 10.770 ± 1.230◊◊ |
| mPDX-1 | 0.009 ± 0.008 | 0.054 ± 0.019* | 0.010 ± 0.011** | 0.088 ± 0.015◊◊ |
EBs Control vs. EBs + EC-CM, * P < 0.05, † P < 0.01
EBs + EC-CM vs. EBs + EC-CM+NOG, ** P < 0.05, ‡P < 0.01
EBs Control vs. EBs + BMP-2, ◊ P < 0.05, ◊◊P < 0.01
Discussion
Although diabetes mellitus dates back to antiquity, there is still no cure for this disease. The use of exogenous insulin replaces the function of absent islets in type 1 diabetes mellitus but does not provide the physiological blood glucose control necessary to stave off the neurovascular complications due to hyperglycemia [32]. The emerging and attractive approach of islet transplantation has been shown be safe with resulting normoglycemia in forty-four percent of recipients at one year after transplantation but multiple doses of islets are often required [33]. Insulin-producing β-like cells can be obtained from embryonic stem cells after treatment with growth factors [4–11]. The crucial influence of ECs in β cell differentiation has been proven in vivo [12]. However, the inductive effects of ECs have not been fully explored using in vitro models. Such effects can be now studied in culture with the emergence of ESC that form EBs when cultured in suspension. The EBs are structures composed of cells derived from the three germ layers (endoderm, ectoderm, and mesoderm) [34]. Section and histological analysis of EBs reveal an external cell layer that posses numerous microvilli characteristic of endodermal cells and express endoderm markers such as AFP and HNF-3 β [34]. We hypothesized that ECs may exert inductive signals to the EB-endodermal layer in vitro to generate pancreatic cells through endothelial-inductive factors since in vivo pre-patterned endoderm differentiation to form islet cells is regulated by ECs [12]. It is known that foregut epithelial cells in vivo must be surrounded by endothelial and mesenchymal cells to undergo differentiation toward endocrine pancreatic cells [12, 35]. ECs in this pancreatic niche are essential for the differentiation of endodermal cells but the endothelial-derived soluble factors involved are still under investigation [36]. Precise knowledge of this complex microenvironment will provide suitable strategies to obtain well-differentiated β cells in vitro for potential therapeutic uses. As one approach, we optimized the conditions for co-culture of EBs and ECs and studied cell-cell interactions at the EB-EC interface and the mechanisms involved. We found that the differentiation of mouse EBs into pancreatic endocrine progenitors and insulin-producing β-like cells was enhanced in this in vitro system and that BMP pathway activation is involved in the process. In support of the data presented herein, previous investigations have demonstrated that ECs promote insulin gene expression in vivo and in vitro [12, 14, 15]. In addition, we recently described enhancement in EB differentiation after implantation of these cellular aggregates onto quail CAMs as a surrogated vascular network where ECs may play a crucial role for EB differentiation [13]. In our co-culture system, expression of pancreatic progenitor and endocrine markers was observed mainly in the precise region where EBs and ECs cells established a close cell-cell interaction. Specificity of these effects is reinforced by the fact that no expression was found at the EB-MEF interface. Paracrine signaling of the surrounding endothelium is possible since PDX-1, Ngn3, Nkx6.1, proinsulin, GLUT2, and Ptf1a expression was mainly seen at the EB-EC interface and, furthermore, some of these cells co-expressed pSmad1/5/8. It is known that the activated BMP type I receptor phosphorylates Smad1/5/8 inducing their translocation to the nucleus where the transcription of target genes is activated [37]. Activation of this pathway in our experimental system was evidenced by Smad1/5/8 phosphorylation and pSmad1/5/8 nuclear translocation, supporting a major role for BMPs in the differentiation process. In addition, we detected BMP-2 in HMEC culture medium, BMP-2/-4 in HMECs using real time qRT-PCR, and upregulation of BMPs in those EBs treated with HMEC-CM. BMPs are members of the TGF-β superfamily that share significant amino acid sequence homology [38]. Some investigations have demonstrated that vascular endothelium is an important source of BMPs which can regulate vasculogenesis during embryonic development and promote organogenesis [20, 36, 39–42]. Additionally, some studies indicated that BMP receptor signaling in β cells is required for glucose-stimulated insulin secretion [43]. We demonstrated that no cell-cell contact is necessary for HMECs to exert inductive effects in EBs suggesting the role of secreted BMPs in the enhancement of pancreatic marker expression. Previous studies have also reported up-regulation of insulin gene in a rat insulinoma cell line treated with TGF-β [44]. These studies are compatible with the results described herein, in which BMP-2, a member of TGF-β superfamily, up-regulates insulin gene expression in EB cells. These facts combined with the known potent angiogenic properties of BMP-2 previously described, suggest a role for these growth factor in our experimental model since we found pancreatic marker expression and stimulation of angiogenesis in mouse EBs co-cultured with HMECs [27]. Furthermore, most of these effects were mimicked by rhBMP-2. We suspected that BMP-2 was one of the endothelial-derived factors involved in the differentiation process observed in our system for two reasons. First, rhBMP-4 had minor effects on angiogenesis and in pancreatic marker expression in our system (not shown). And, second, mAECs and EOMA cells, which produced higher levels of BMP-4, had diminished effects on insulin-1 expression compared to HMECs (not shown). In addition, previous studies have demonstrated that BMP-2 plays a key role in mediating insulin gene expression in AR42J cells [28]. However, it has been reported that BMP-2 and BMP-4 may play synergistic roles for proper organogenesis and embryo development [45]. It has been reported that NOG play a role in the induction of the nervous system by antagonizing BMPs [46]. In addition, NOG has more specific and stronger inhibitory effects on BMPs in comparison to other antagonists [26]. Some of our results indicated that the effects of the HMEC-CM in the expression of some pancreatic markers (e.g. Nkx6.1 and insulin-2) were not inhibited by NOG. Therefore, it is likely that other EC-derived factors could be involved in the differentiation process observed in the present work [36]. Additionally, markers such as Nkx6.1, also involved in neuron differentiation, and insulin-2 are more broadly expressed and not restricted to β cells [47, 48]. Our in vitro studies have determined that ECs have a potent influence on organogenesis in general since we observed expression of other specific tissue markers (not shown). Therefore, the endothelial-derived BMPs could trigger the expression of more BMPs from EBs with resulting enhanced differentiation of various cell-lineages as we demonstrated increase of BMPs in EBs treated with HMEC-CM. This BMP expression promoted by BMPs has been previously described [26, 29]. The identification and investigation of other endothelial-derived factors involved in such differentiation might be relevant to the development of pancreatic and other tissues in vitro. In our system, we found that upregulation of Ptf1a at EB-EC interface was not dependent of BMPs since no pSmad1/5/8 was detected in Ptf1a-positive cells. Ptf1a was originally discovered by its function in the exocrine pancreas [49]. Expression of this factor promoted by ECs has been previously described [50]. In addition, some cells were Ptf1a+/pSmad- in comparison with proinsulin+/pSmad+ or Nkx6.1+/pSmad+ double-positive cells in our system. These findings suggested that BMPs could have a more important role in the differentiation of endocrine cells and that other unknown EC-derived factors may participate in exocrine differentiation independent of the BMP pathway. Other hormones such as SST were down regulated in our system. It has been reported that BMPs significantly reduces the expression of SST+ interneuron precursors that may differentiate to other cell subpopulations [51]. These observations are consistent with our results herein in which reduction in SST expression was found using HMEC-CM with parallel effects exerted by rhBMP-2. In addition to hormone production, the differentiated cells expressed components of the glucose sensory apparatus and insulin secretory machinery, which would be absolutely necessary to achieve the glucose regulatory function in these cells. However, important genes for β cell function such as GLUT2 and Kir6.2 that were not up-regulated, may require other factors derived from endothelium or from other cells for their expression. In the case of GLUT2, higher expression was clearly observed by ICC but not by qRT-PCR in our system. It is possible that the absolute increase in expression of this molecule at the EB-EC interface was not detected since total GLUT2 was quantified by qRT-PCR including those glucose transporter molecules expressed in other tissues [52]. Regarding Kir6.2, it has been described that IEC-Pd cells (immature rat enterocytes that express PDX-1) were able to release insulin into the culture medium only after transfection of islet-1 (Isl-1), a transcription factor that facilitates the generation of endocrine islet cells and brain cells during embryogenesis, and that these cells showed de novo expression of Kir6.2 [53]. Apparently, expression of PDX-1 alone is not sufficient to promote expression of Kir6.2. No significant increase of Kir6.2 was found in our system after EB treatment with HMEC-CM (see Fig. 4b) along with very low expression of Isl-1 and NK homeobox 2 (Nkx2.2) at the EB-EC interface (not shown). These facts suggested that Isl-1 expression can be a crucial factor to promote subsequent Kir6.2 regulation and maturation of β cells and that other non-endothelial signals (e.g. mesenchymal) may be involved in Isl-1 expression as previously described [35].
In this work we investigated whether ECs enhanced the differentiation of mouse EB cells toward pancreatic cells in vitro. Although cell-to-cell interaction was apparent in culture, the inductive signals involved soluble factors, most prominently BMP-2. We described that HMEC-CM promotes the expression of markers characteristic of pancreas progenitors and insulin-producing cells. In support of BMPs involvement, these effects were similar to those exerted by rhBMP-2 and inhibited by NOG. Further studies addressing other molecular and physiological properties of this EB-EC interaction will be necessary to understand the complete role of endothelial cells in β-cell development and maturation.
Electronic Supplementary Material
Below is the link to the electronic supplementary material.
Expression of β-cell markers in beta-TC-6 cells. A cell line derived from mouse insulinoma was used as control and stained to β-cell markers. As an example, expression of proinuslin (red) (a), GLUT2 (red) (d), and PDX-1 (red) (g) is shown. Mouse embryonic fibroblasts (MEFs) used as negative controls were stained to the same markers. MEFs stained to anti-proinsulin antibody are shown as example (j). Cells stained with DAPI (b, e, h, and k). Merged images (c, f, i, and l). Bars = 10 μm (JPEG 71 kb)
(TIFF 1904 kb)
Expression of PDX-1 and CD31 in EBs culture with or without HMECs. Expression of PDX-1 at the interface in EBs cultured together with HMECs (red) (a). Some expression of this pancreatic marker was found in the center of EBs cultured alone (red) (c). Isotype control (e). CD31 expression in EB co-cultured with HMECs (green) (g), cultured alone and not treated with growth factors (i), and cultured alone but treated with rhBMP-2 (green) (k). Cells stained with DAPI (b, d, f, h, j, and l). Bars = 100 μm (JPEG 82 kb)
(TIFF 1975 kb)
Acknowledgements
We acknowledge Eris M. Field Endowment for Diabetes Research, U.S. Navy Bureau of Medicine and Surgery, and the School of Medicine of the Mexican National Polytechnic Institute for their support.
Conflict of Interests
The authors declare no potential conflicts of interest.
Open Access
This article is distributed under the terms of the Creative Commons Attribution Noncommercial License which permits any noncommercial use, distribution, and reproduction in any medium, provided the original author(s) and source are credited.
References
- 1.Maahs DM, Rewers M. Mortality and renal disease in type 1 diabetes mellitus—progress made, more to be done. The Journal of Clinical Endocrinology and Metabolism. 2006;91:3757–3759. doi: 10.1210/jc.2006-1730. [DOI] [PubMed] [Google Scholar]
- 2.Ryan EA, Lakey JR, Paty BW, et al. Successful islet transplantation: Continued insulin reserve provides long-term glycemic control. Diabetes. 2002;51:2148–2157. doi: 10.2337/diabetes.51.7.2148. [DOI] [PubMed] [Google Scholar]
- 3.Lumelsky N, Blondel O, Laeng P, Velasco I, Ravin R, McKay R. Differentiation of embryonic stem cells to insulin-secreting structures similar to pancreatic islets. Science. 2001;292:1389–1394. doi: 10.1126/science.1058866. [DOI] [PubMed] [Google Scholar]
- 4.Assady S, Maor G, Amit M, Itskovitz-Eldor J, Skorecki KL, Tzukerman M. Insulin production by human embryonic stem cells. Diabetes. 2001;50:1691–1697. doi: 10.2337/diabetes.50.8.1691. [DOI] [PubMed] [Google Scholar]
- 5.Moritoh Y, Yamato E, Yasui Y, Miyazaki S, Miyazaki J. Analysis of insulin-producing cells during in vitro differentiation from feeder-free embryonic stem cells. Diabetes. 2003;52:1163–1168. doi: 10.2337/diabetes.52.5.1163. [DOI] [PubMed] [Google Scholar]
- 6.León-Quinto T, Jones J, Skoudy A, Burcin M, Soria B. In vitro directed differentiation of mouse embryonic stem cells into insulin-producing cells. Diabetologia. 2004;47:1442–1451. doi: 10.1007/s00125-004-1458-8. [DOI] [PubMed] [Google Scholar]
- 7.Segev H, Fishman B, Ziskind A, Shulman M, Itskovitz-Eldor J. Differentiation of human embryonic stem cells into insulin-producing clusters. Stem Cells. 2004;22:265–274. doi: 10.1634/stemcells.22-3-265. [DOI] [PubMed] [Google Scholar]
- 8.D’Amour KA, Bang AG, Eliazer S, et al. Production of pancreatic hormone-expressing endocrine cells from human embryonic stem cells. Nature Biotechnology. 2006;24:1481–1483. doi: 10.1038/nbt1206-1481. [DOI] [PubMed] [Google Scholar]
- 9.Lock LT, Tzanakakis ES. Stem/Progenitor cell sources of insulin-producing cells for the treatment of diabetes. Tissue Engineering. 2007;13:1399–1412. doi: 10.1089/ten.2007.0047. [DOI] [PubMed] [Google Scholar]
- 10.Kroon E, Martinson LA, Kadoya K, et al. Pancreatic endoderm derived from human embryonic stem cells generates glucose-responsive insulin-secreting cells in vivo. Nature Biotechnology. 2008;26:443–452. doi: 10.1038/nbt1393. [DOI] [PubMed] [Google Scholar]
- 11.Zhang D, Jiang W, Liu M, et al. Highly efficient differentiation of human ES cells and iPS cells into mature pancreatic insulin-producing cells. Cell Research. 2009;19:429–438. doi: 10.1038/cr.2009.28. [DOI] [PubMed] [Google Scholar]
- 12.Lammert E, Cleaver O, Melton D. Induction of pancreatic differentiation by signals from blood vessels. Science. 2001;294:564–567. doi: 10.1126/science.1064344. [DOI] [PubMed] [Google Scholar]
- 13.Talavera-Adame D, Dafoe DC, Ng TT, Wachsmann-Hogiu S, Castillo-Henkel C, Farkas DL. Enhancement of embryonic stem cell differentiation promoted by avian chorioallantoic membranes. Tissue Engineering. 2009;15:3193–3200. doi: 10.1089/ten.tea.2009.0024. [DOI] [PubMed] [Google Scholar]
- 14.Nikolova G, Jabs N, Konstantinova I, et al. The vascular basement membrane: A niche for insulin gene expression and β cell proliferation. Developmental Cell. 2006;10:397–405. doi: 10.1016/j.devcel.2006.01.015. [DOI] [PubMed] [Google Scholar]
- 15.Nikolova G, Strilic B, Lammert E. The vascular niche and its basement membrane. Trends in Cell Biology. 2007;17:19–25. doi: 10.1016/j.tcb.2006.11.005. [DOI] [PubMed] [Google Scholar]
- 16.Eberhard D, Kragl M, Lammert E. ‘Giving and talking’: Endothelial and β-cells in the islets of Langerhans. Trends in Endocrinology and Metabolism. 2010;21:457–463. doi: 10.1016/j.tem.2010.03.003. [DOI] [PubMed] [Google Scholar]
- 17.Kragl M, Lammert E. Basement membrane in pancreatic islet function. Advances in Experimental Medicine and Biology. 2010;654:217–234. doi: 10.1007/978-90-481-3271-3_10. [DOI] [PubMed] [Google Scholar]
- 18.Zhang N, Richter A, Suriawinata J, et al. Elevated vascular endothelial growth factor production in islets improves islet graft vascularization. Diabetes. 2004;53:963–970. doi: 10.2337/diabetes.53.4.963. [DOI] [PubMed] [Google Scholar]
- 19.Kaigler D, Krebsbach PH, West ER, Horger K, Huang YC, Mooney D. West ER et al. Endothelial cell modulation of bone marrow stromal cell osteogenic potential. The FASEB Journal. 2005;19:665–667. doi: 10.1096/fj.04-2529fje. [DOI] [PubMed] [Google Scholar]
- 20.Csiszar A, Smith KE, Koller A, Kaley G, Edwards JG, Ungvari Z. Regulation of bone morphogenetic protein-2 expression in endothelial cells: Role of nuclear factor-kappa B activation by tumor necrosis factor-alpha, H2O2, and high intravascular pressure. Circulation. 2005;111:2364–2372. doi: 10.1161/01.CIR.0000164201.40634.1D. [DOI] [PubMed] [Google Scholar]
- 21.Yew KH, Hembree M, Prasadan K, et al. Cross-talk between bone morphogenetic protein and transforming growth factor-beta signaling is essential for exendin-4-induced insulin-positive differentiation of AR42J cells. The Journal of Biological Chemistry. 2005;280:32209–32217. doi: 10.1074/jbc.M505465200. [DOI] [PubMed] [Google Scholar]
- 22.Hua H, Zhang YQ, Dabernat S, Kritzik M, Dietz D, Sterling L, Sarvetnick N. BMP4 regulates pancreatic progenitor cell expansion through Id2. The Journal of Biological Chemistry. 2006;281(19):13574–13580. doi: 10.1074/jbc.M600526200. [DOI] [PubMed] [Google Scholar]
- 23.Ades EW, Candal FJ, Swerlick RA, et al. HMEC-1: establishment of an immortalized human microvascular endothelial cell line. The Journal of Investigative Dermatology. 1992;99:683–690. doi: 10.1111/1523-1747.ep12613748. [DOI] [PubMed] [Google Scholar]
- 24.Xu Y, Swerlick RA, Sepp N, Bosse D, Ades EW, Lawley TJ. Characterization of expression and modulation of cell adhesion molecules on an immortalized human dermal microvascular endothelial cell line (HMEC-1) The Journal of Investigative Dermatology. 1994;102:833–837. doi: 10.1111/1523-1747.ep12382086. [DOI] [PubMed] [Google Scholar]
- 25.Michelsen KS, Wong MH, Shah PK, et al. Lack of Toll-like receptor 4 or myeloid differentiation factor 88 reduces atherosclerosis and alters plaque phenotype in mice deficient in apolipoprotein E. Proceedings of the National Academy of Sciences of the United States of America. 2004;101:10679–10684. doi: 10.1073/pnas.0403249101. [DOI] [PMC free article] [PubMed] [Google Scholar]
- 26.Pera MF, Andrade J, Houssami S, et al. Regulation of human embryonic stem cell differentiation by BMP-2 and its antagonist noggin. Journal of Cell Science. 2004;117:1269–1280. doi: 10.1242/jcs.00970. [DOI] [PubMed] [Google Scholar]
- 27.Langenfeld EM, Langenfeld J. Bone morphogenetic protein-2 stimulates angiogenesis in developing tumors. Molecular Cancer Research. 2004;2:141–149. [PubMed] [Google Scholar]
- 28.Yew KH, Hembree M, Prasadan K, et al. Cross-talk between bone morphogenetic protein and transforming growth factor-beta signaling is essential for exendin-4-induced insulin-positive differentiation of AR42J cells. The Journal of Biological Chemistry. 2005;280:32209–32217. doi: 10.1074/jbc.M505465200. [DOI] [PubMed] [Google Scholar]
- 29.Chen D, Zhao M, Mundy GR. Bone morphogenetic proteins. Growth Factors. 2004;22:233–241. doi: 10.1080/08977190412331279890. [DOI] [PubMed] [Google Scholar]
- 30.Thorens B. GLUT2 in pancreatic and extra-pancreatic gluco-detection. Molecular Membrane Biology. 2001;18:265–273. doi: 10.1080/09687680110100995. [DOI] [PubMed] [Google Scholar]
- 31.Groppe J, Greenwald J, Wiater E, et al. Structural basis of BMP signaling inhibition by the cystine knot protein noggin. Nature. 2002;420:636–642. doi: 10.1038/nature01245. [DOI] [PubMed] [Google Scholar]
- 32.Crofford OB. Diabetes control and complications. Annual Review of Medicine. 1995;46:267–279. doi: 10.1146/annurev.med.46.1.267. [DOI] [PubMed] [Google Scholar]
- 33.Shapiro AM, Ricordi C, Hering BJ, et al. International trial of the Edmonton protocol for islet transplantation. The New England Journal of Medicine. 2006;355:1372–1374. doi: 10.1056/NEJMoa061267. [DOI] [PubMed] [Google Scholar]
- 34.Karbanová J, Mokrý J. Histological and histochemical analysis of embryoid bodies. Acta Histochemica. 2002;104:361–365. doi: 10.1078/0065-1281-00677. [DOI] [PubMed] [Google Scholar]
- 35.Scharfmann R. Control of early development of the pancreas in rodents and humans: Implications of signals from the mesenchyme. Diabetologia. 2000;43:1083–1092. doi: 10.1007/s001250051498. [DOI] [PubMed] [Google Scholar]
- 36.Nikolova G, Lammert E. Interdependent development of blood vessels and organs. Cell and Tissue Research. 2003;314(1):33–42. doi: 10.1007/s00441-003-0739-8. [DOI] [PubMed] [Google Scholar]
- 37.Wrighton KH, Lin X, Feng XH. Phospho-control of TGF-beta superfamily signaling. Cell Research. 2009;19:8–20. doi: 10.1038/cr.2008.327. [DOI] [PMC free article] [PubMed] [Google Scholar]
- 38.Herpin A, Lelong C, Favrel P. Transforming growth factor-beta-related proteins: An ancestral and widespread superfamily of cytokines in metazoans. Developmental and Comparative Immunology. 2004;28:461–485. doi: 10.1016/j.dci.2003.09.007. [DOI] [PubMed] [Google Scholar]
- 39.Moser M, Binder O, Wu Y, et al. BMPER, a novel endothelial cell precursor-derived protein, antagonizes bone morphogenetic protein signaling and endothelial cell differentiation. Molecular and Cellular Biology. 2003;23:5664–5679. doi: 10.1128/MCB.23.16.5664-5679.2003. [DOI] [PMC free article] [PubMed] [Google Scholar]
- 40.Shin V, Zebboudj AF, Boström K. Endothelial cells modulate osteogenesis in calcifying vascular cells. Journal of Vascular Research. 2004;41:193–201. doi: 10.1159/000077394. [DOI] [PubMed] [Google Scholar]
- 41.Sorescu GP, Song H, Tressel SL, et al. Bone morphogenic protein-4 produced in endothelial cells by oscillatory shear stress induces monocyte adhesion by stimulating reactive oxygen species production from a nox1-based NADPH oxidase. Circulation Research. 2004;95:773–779. doi: 10.1161/01.RES.0000145728.22878.45. [DOI] [PubMed] [Google Scholar]
- 42.Yao Y, Zebboudj AF, Shao E, Perez M, Boström K. Regulation of bone morphogenic protein-4 by matrix GLA protein in vascular endothelial cells involves activin-like kinase receptor-1. The Journal of Biological Chemistry. 2006;281:33921–33390. doi: 10.1074/jbc.M604239200. [DOI] [PubMed] [Google Scholar]
- 43.Goulley, J., Dahl, U., Baeza, N., Mishina, Y., & Edlund, H. (2007) BMP4-BMPR1A signaling in beta cells is required for and augments glucose-stimulated insulin secretion. Cell Metabolism, 5, 207–219. [DOI] [PubMed]
- 44.Sayo Y, Hosokawa H, Imachi H, et al. Transforming growth factor beta induction of insulin gene expression is mediated by pancreatic and duodenal homeobox gene-1 in rat insulinoma cells. European Journal of Biochemistry. 2000;267:971–978. doi: 10.1046/j.1432-1327.2000.01080.x. [DOI] [PubMed] [Google Scholar]
- 45.Uchimura T, Komatsu Y, Tanaka M, McCann KL. Mishina Y. Bmp2 and Bmp4 genetically interact to support multiple aspects of mouse development including functional heart development. Genesis. 2009;47:374–384. doi: 10.1002/dvg.20511. [DOI] [PMC free article] [PubMed] [Google Scholar]
- 46.Bachiller D, Klingensmith J, Kemp C, et al. The organizer factors Chordin and Noggin are required for mouse forebrain development. Nature. 2000;403:658–661. doi: 10.1038/35001072. [DOI] [PubMed] [Google Scholar]
- 47.Moreno-Bravo JA, Perez-Balaguer A, Martinez S, Puelles E. Dynamic expression patterns of Nkx6.1 and Nkx6.2 in the developing mes-diencephalic basal plate. Developmental Dynamics. 2010;239:2094–2101. doi: 10.1002/dvdy.22327. [DOI] [PubMed] [Google Scholar]
- 48.Giddings SJ, Carnaghi LR. Selective expression and developmental regulation of the ancestral rat insulin II gene in fetal liver. Molecular Endocrinology. 1990;4:1363–1369. doi: 10.1210/mend-4-9-1363. [DOI] [PubMed] [Google Scholar]
- 49.Rose SD, Swift GH, Peyton MJ, Hammer RE, MacDonald RJ. The role of PTF1-P48 in pancreatic acinar gene expression. The Journal of Biological Chemistry. 2001;276:44018–44026. doi: 10.1074/jbc.M106264200. [DOI] [PubMed] [Google Scholar]
- 50.Yoshitomi H, Zaret KS. Endothelial cell interactions initiate dorsal pancreas development by selectively inducing the transcription factor Ptf1a. Development. 2004;131:807–817. doi: 10.1242/dev.00960. [DOI] [PubMed] [Google Scholar]
- 51.Mukhopadhyay A, McGuire T, Peng CY, Kessler JA. Differential effects of BMP signaling on parvalbumin and somatostatin interneuron differentiation. Development. 2009;136:2633–2642. doi: 10.1242/dev.034439. [DOI] [PMC free article] [PubMed] [Google Scholar]
- 52.Thorens B. GLUT2 in pancreatic and extra-pancreatic gluco-detection. Molecular Membrane Biology. 2001;18:247–256. doi: 10.1080/09687680110090456. [DOI] [PubMed] [Google Scholar]
- 53.Hashimoto T, Nakamura T, Maegawa H, Nishio Y, Egawa K, Kashiwagi A. Regulation of ATP-sensitive potassium channel subunit Kir6.2 expression in rat intestinal insulin-producing progenitor cells. The Journal of Biological Chemistry. 2005;280:1893–1900. doi: 10.1074/jbc.M410759200. [DOI] [PubMed] [Google Scholar]
Associated Data
This section collects any data citations, data availability statements, or supplementary materials included in this article.
Supplementary Materials
Expression of β-cell markers in beta-TC-6 cells. A cell line derived from mouse insulinoma was used as control and stained to β-cell markers. As an example, expression of proinuslin (red) (a), GLUT2 (red) (d), and PDX-1 (red) (g) is shown. Mouse embryonic fibroblasts (MEFs) used as negative controls were stained to the same markers. MEFs stained to anti-proinsulin antibody are shown as example (j). Cells stained with DAPI (b, e, h, and k). Merged images (c, f, i, and l). Bars = 10 μm (JPEG 71 kb)
(TIFF 1904 kb)
Expression of PDX-1 and CD31 in EBs culture with or without HMECs. Expression of PDX-1 at the interface in EBs cultured together with HMECs (red) (a). Some expression of this pancreatic marker was found in the center of EBs cultured alone (red) (c). Isotype control (e). CD31 expression in EB co-cultured with HMECs (green) (g), cultured alone and not treated with growth factors (i), and cultured alone but treated with rhBMP-2 (green) (k). Cells stained with DAPI (b, d, f, h, j, and l). Bars = 100 μm (JPEG 82 kb)
(TIFF 1975 kb)




