Abstract
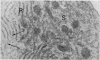
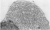
Smith, P., Heath, D., and Moosavi, H. (1974).Thorax, 29, 147-163. The Clara cell. The ultrastructure of the bronchiolar Clara cell was examined in normal adult and neonatal rats, in similar animals which had been acutely exposed to hypoxia, and in adult rats following repeated doses of the anorexigen chlorphentermine. The Clara cell has all the features of a secretory cell, the product of secretion accumulating within smooth cisternae at the apex of the cell. The apical region is then extruded into the bronchiolar lumen in a process of apocrine secretion. Acute hypoxia accelerates this secretion in adult rats but has little effect upon neonatal rats. Administration of chlorphentermine induces a hyperplasia of Clara cells which is associated with large quantities of phospholipid free within the alveolar spaces and in macrophages. The Clara cells also contain accumulations of what appear to be phospholipid. This suggests that the Clara cell secretes the phospholipid pulmonary surfactant.
Full text
PDF
















Images in this article
Selected References
These references are in PubMed. This may not be the complete list of references from this article.
- Azzopardi A., Thurlbeck W. M. The oxidative enzyme pattern in developing and adult mice and adult rabbits. Lab Invest. 1967 May;16(5):706–716. [PubMed] [Google Scholar]
- BUCKINGHAM S., AVERY M. E. Time of appearance of lung surfactant in the foetal mouse. Nature. 1962 Feb 17;193:688–689. doi: 10.1038/193688a0. [DOI] [PubMed] [Google Scholar]
- Balis J. U., Delivoria M., Conen P. E. Maturation of postnatal human lung and the idiopathic respiratory distress syndrome. Lab Invest. 1966 Mar;15(3):530–546. [PubMed] [Google Scholar]
- Buckingham S., Heinemann H. O., Sommers S. C., McNary W. F. Phospholipid synthesis in the large pulmonary alveolar cell. Its relation to lung surfactants. Am J Pathol. 1966 Jun;48(6):1027–1041. [PMC free article] [PubMed] [Google Scholar]
- Castillo Y., Johnson F. B. Pulmonary surfactant in acutely hypoxic mice. Lab Invest. 1969 Jul;21(1):61–64. [PubMed] [Google Scholar]
- Corrin B. Phagocytic potential of pulmonary alveolar epithelium with particular reference to surfactant metabolism. Thorax. 1970 Jan;25(1):110–115. doi: 10.1136/thx.25.1.110. [DOI] [PMC free article] [PubMed] [Google Scholar]
- Etherton J. E., Conning D. M. Early incorporation of labelled palmitate into mouse lung. Experientia. 1971 May 15;27(5):554–555. doi: 10.1007/BF02147597. [DOI] [PubMed] [Google Scholar]
- Faulkner C. S., 2nd The role of the granular pneumonocyte in surfactant metabolism an autoradiographic study. Arch Pathol. 1969 May;87(5):521–525. [PubMed] [Google Scholar]
- Heath D., Smith P., Hasleton P. S. Effects of chlorphentermine on the rat lung. Thorax. 1973 Sep;28(5):551–558. doi: 10.1136/thx.28.5.551. [DOI] [PMC free article] [PubMed] [Google Scholar]
- KARRER H. E. Electron microscopic study of bronchiolar epithelium of normal mouse lung; preliminary report. Exp Cell Res. 1956 Feb;10(1):237–241. doi: 10.1016/0014-4827(56)90093-3. [DOI] [PubMed] [Google Scholar]
- KISCH B. Electron microscopy of the lungs in acute pulmonary edema. Exp Med Surg. 1958;16(1):17–28. [PubMed] [Google Scholar]
- Kikkawa Y., Motoyama E. K., Gluck L. Study of the lungs of fetal and newborn rabbits. Morphologic, biochemical, and surface physical development. Am J Pathol. 1968 Jan;52(1):177–210. [PMC free article] [PubMed] [Google Scholar]
- Kuhn C., 3rd Cytochemistry of pulmonary alveolar epithelial cells. Am J Pathol. 1968 Nov;53(5):809–833. [PMC free article] [PubMed] [Google Scholar]
- LUZZATI V., HUSSON F. The structure of the liquid-crystalline phasis of lipid-water systems. J Cell Biol. 1962 Feb;12:207–219. doi: 10.1083/jcb.12.2.207. [DOI] [PMC free article] [PubMed] [Google Scholar]
- Moosavi H., Smith P., Heath D. The Feyrter cell in hypoxia. Thorax. 1973 Nov;28(6):729–741. doi: 10.1136/thx.28.6.729. [DOI] [PMC free article] [PubMed] [Google Scholar]
- Niden A. H. Bronchiolar and large alveolar cell in pulmonary phospholipid metabolism. Science. 1967 Dec 8;158(3806):1323–1324. doi: 10.1126/science.158.3806.1323. [DOI] [PubMed] [Google Scholar]
- Smith P., Heath D., Hasleton P. S. Electron microscopy of chlorphentermine lung. Thorax. 1973 Sep;28(5):559–566. doi: 10.1136/thx.28.5.559. [DOI] [PMC free article] [PubMed] [Google Scholar]


















